New Search
Family, Subfamily and Tribe List
Family
Cerambycinae
SubFamily
Cerambycinae
Tribe
Compsocerini
Genus
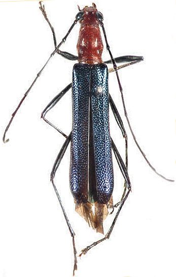
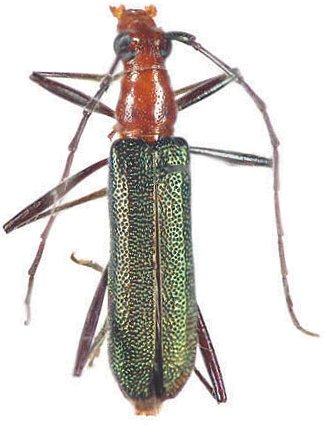
Ecoporanga
Ecoporanga
achira
Ecoporanga
cooperi
Ecoporanga
wallacei
130503