New Search Family, Subfamily and Tribe List

SubFamily Cerambycinae

Tribe Compsocerini
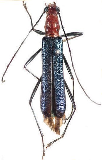
Ecoporanga wallacei Monné & Monné 2014

Specimen Type: holotype
Sex: m
Institution: BMNH British Museum Natural History, London, UK
Collection Location: Baños, Tungurahua, Ecuador
64401

130425