New Search Family, Subfamily and Tribe List

SubFamily Cerambycinae

Tribe Compsocerini
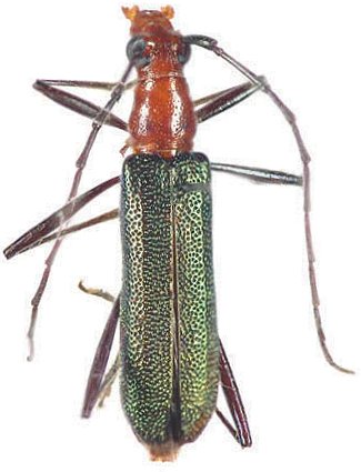
Ecoporanga cooperi Monné & Monné 2014

Specimen Type: holotype
Sex: f
Institution: BMNH British Museum Natural History, London, UK
Collection Location: Rodriguez de Mendoza, Amazonas, Peru
64400

130425