New Search
Family, Subfamily and Tribe List
Family
Cerambycinae
SubFamily
Cerambycinae
Tribe
Eburiini
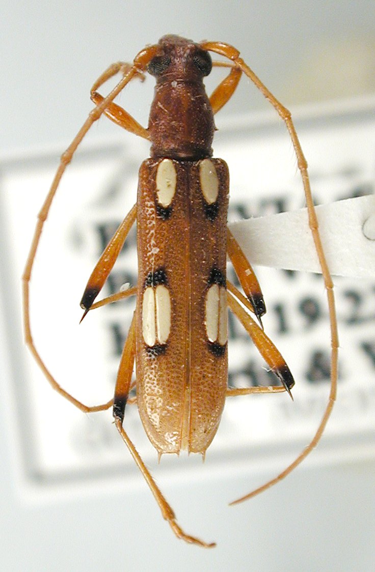
Genus
Eburella
Eburella
cauera
Eburella
crucena
Eburella
longicollis
Eburella
migueli
Eburella
pinima
Eburella
pumicosa
130503