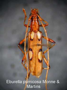
_Monne_and_Martins_Salobra_Mato_Grosso_Brazil_Pap_Avuls_Zoo.jpg)
Specimen Type: holotype Sex: m Institution: MZSP Museu de Zoologia da Universidade de São Paulo, Brazil Collection Location: Salobra, Mato Grosso, Brazil 22688
|

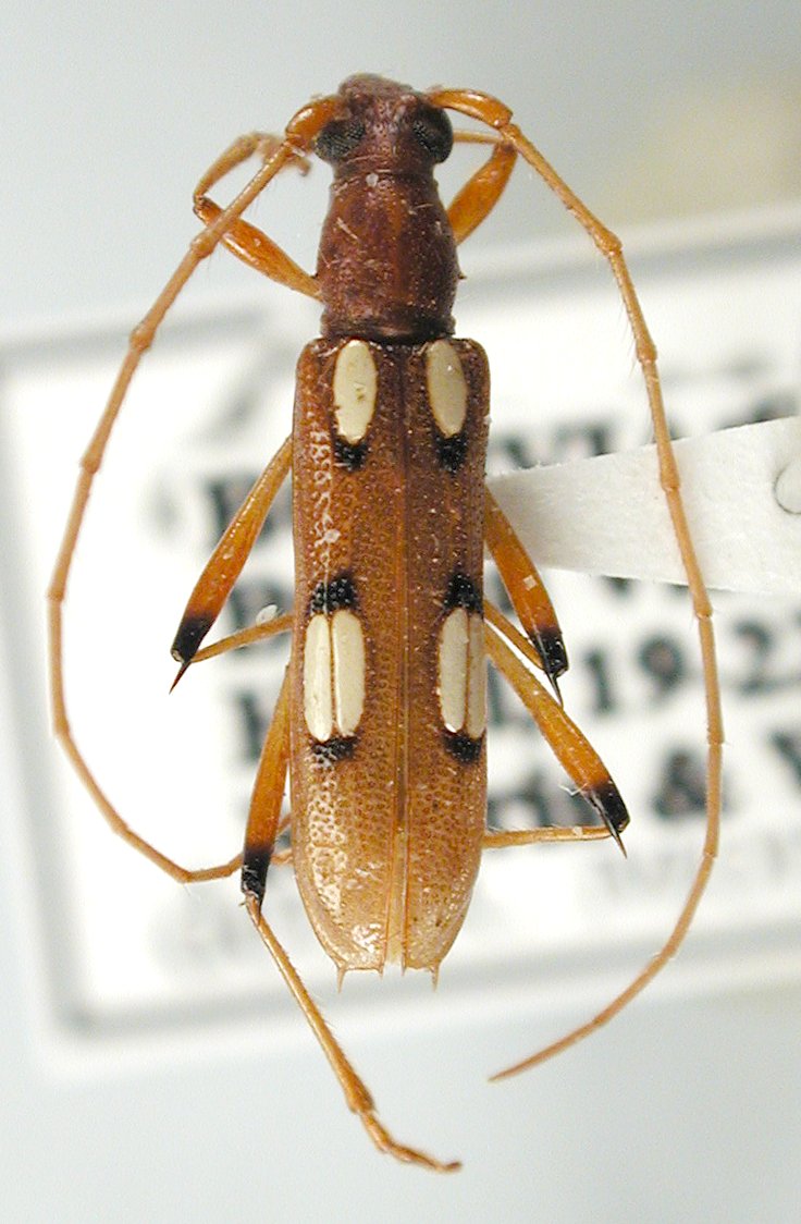
Photographer: Jim Wappes Collection Location: Bolivia 6807
|

Institution: JCPC Jim Cope Collection, San Jose, California, USA now at CSCA, Sacramento Photographer: Larry G. Bezark Determiner: Jim Cope Collection Location: Hotel Fl & Fauna, Buena Vista, Santa Cruz, Bolivia 98605
|
_Martins_Botero_photo.jpg)
Sex: m Photographer: Juan Pablo Botero 42162
|
|