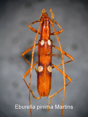
_Martins_Plazuel-Inquisivi_Bolivia_Rev_Bras_Ent.jpg)
Specimen Type: holotype Sex: f Institution: MZSP Museu de Zoologia da Universidade de São Paulo, Brazil Collection Location: Plazuel-Inquisivi, La Paz, Bolivia 21857
|

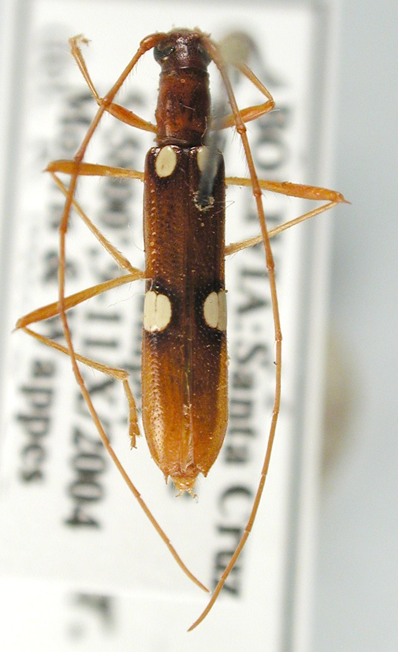
Institution: JCPC Jim Cope Collection, San Jose, California, USA now at CSCA, Sacramento Photographer: Larry G. Bezark Determiner: Roy Morris Collection Location: Amboro rd above Achira, Santa Cruz, Bolivia 98604
|