New Search Family, Subfamily and Tribe List
new world both worldsboth worlds old world
Family Cerambycinae
SubFamily Cerambycinae
Tribe Tropidini Compsina

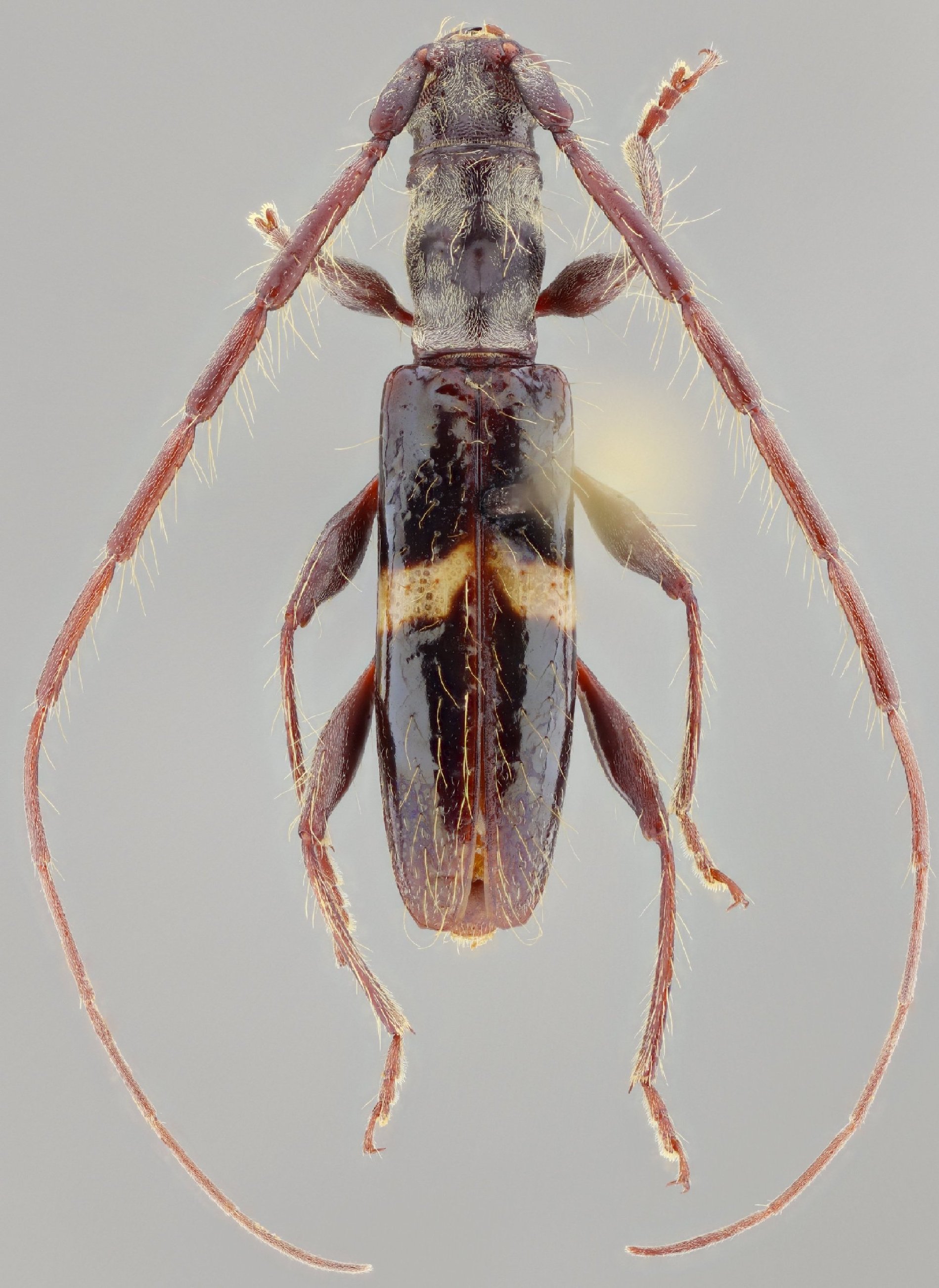
Genus Corimbion


Corimbion
antennatum


Corimbion
balteum


Corimbion
caliginosum


Corimbion
kuckartzi


Corimbion
ledezmae


Corimbion
martinsi


Corimbion
mutabile


Corimbion
nigroapicatum


Corimbion
supremum


Corimbion
terminatum


Corimbion
vulgare


Corimbion
wappesi

130503