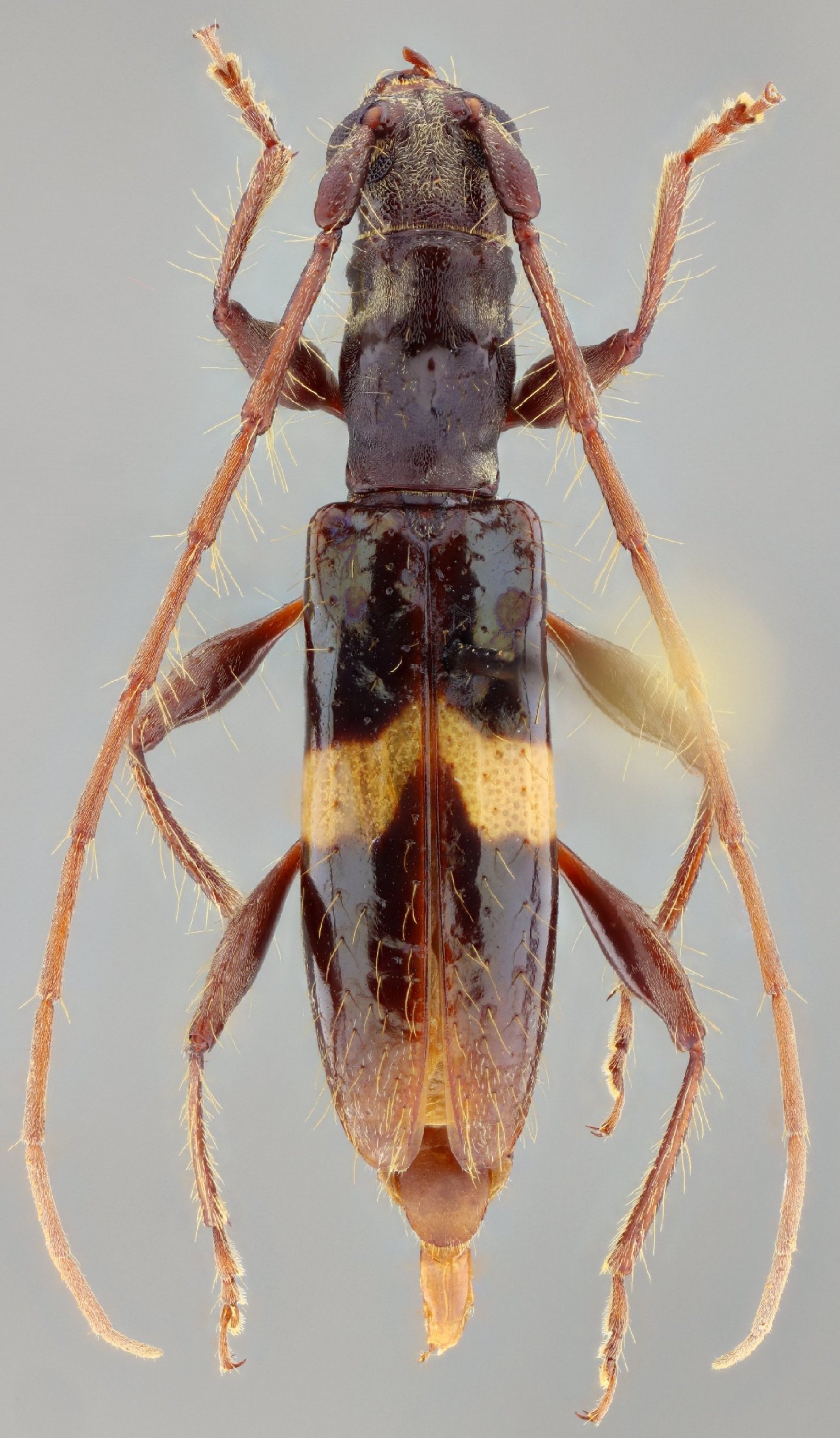
 Garcia SS FSCA El Arenal Heloderma Cons Res, Zacapa, Guatemala SS.jpg)
Specimen Type: holotype Sex: m Institution: FSCA Florida State Collection of Arthropods, Gainesville, FL, USA Photographer: Antonio Santos-Silva Collection Location: El Arenal Heloderma Conservation Reserve, Zacapa, Guatemala 78794
|
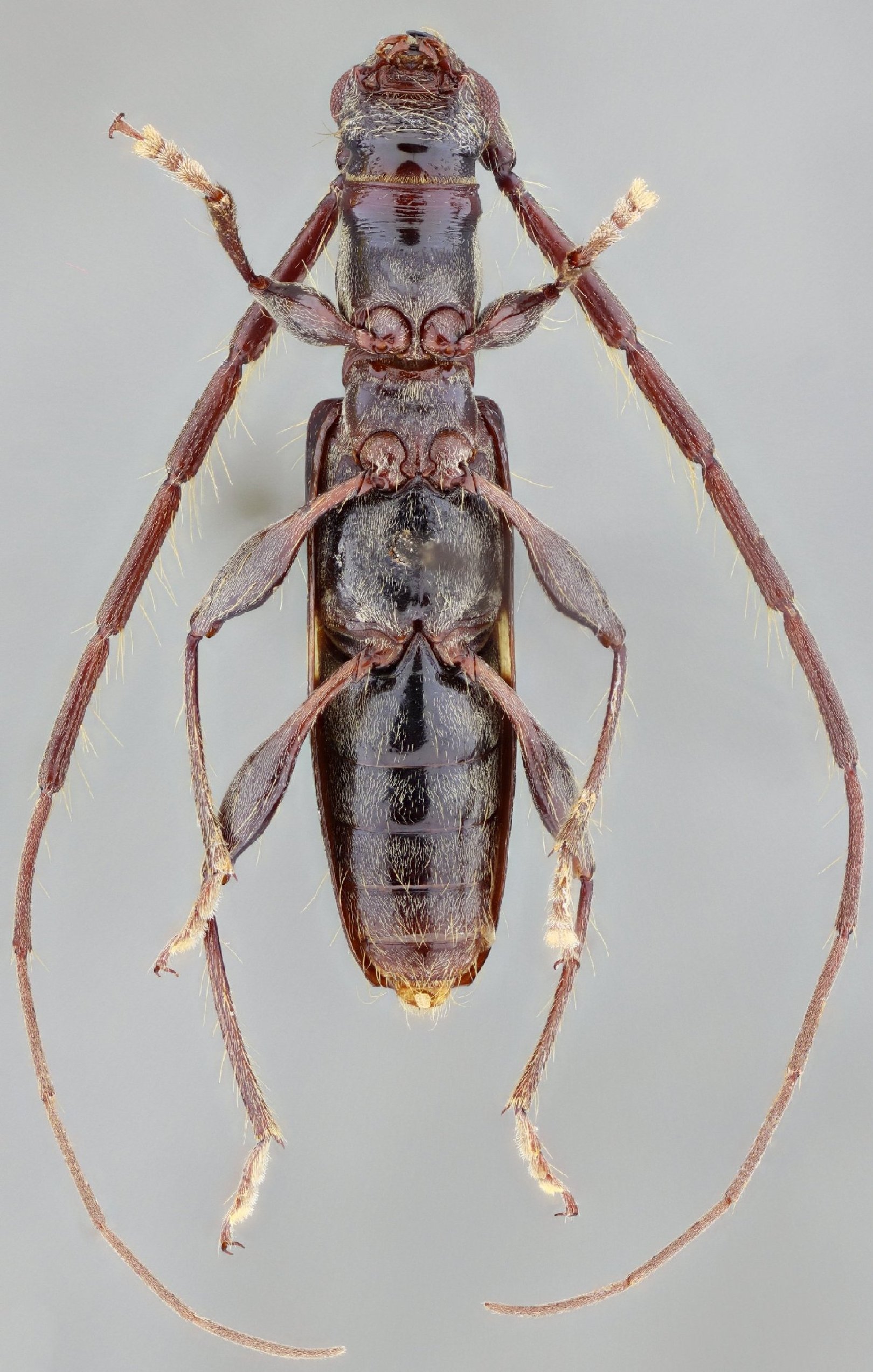
 Garcia SS FSCA El Arenal Heloderma Cons Res, Zacapa, Guatemala SS.jpg)
Specimen Type: holotype Sex: m Institution: FSCA Florida State Collection of Arthropods, Gainesville, FL, USA Photographer: Antonio Santos-Silva Collection Location: El Arenal Heloderma Conservation Reserve, Zacapa, Guatemala 78795
|
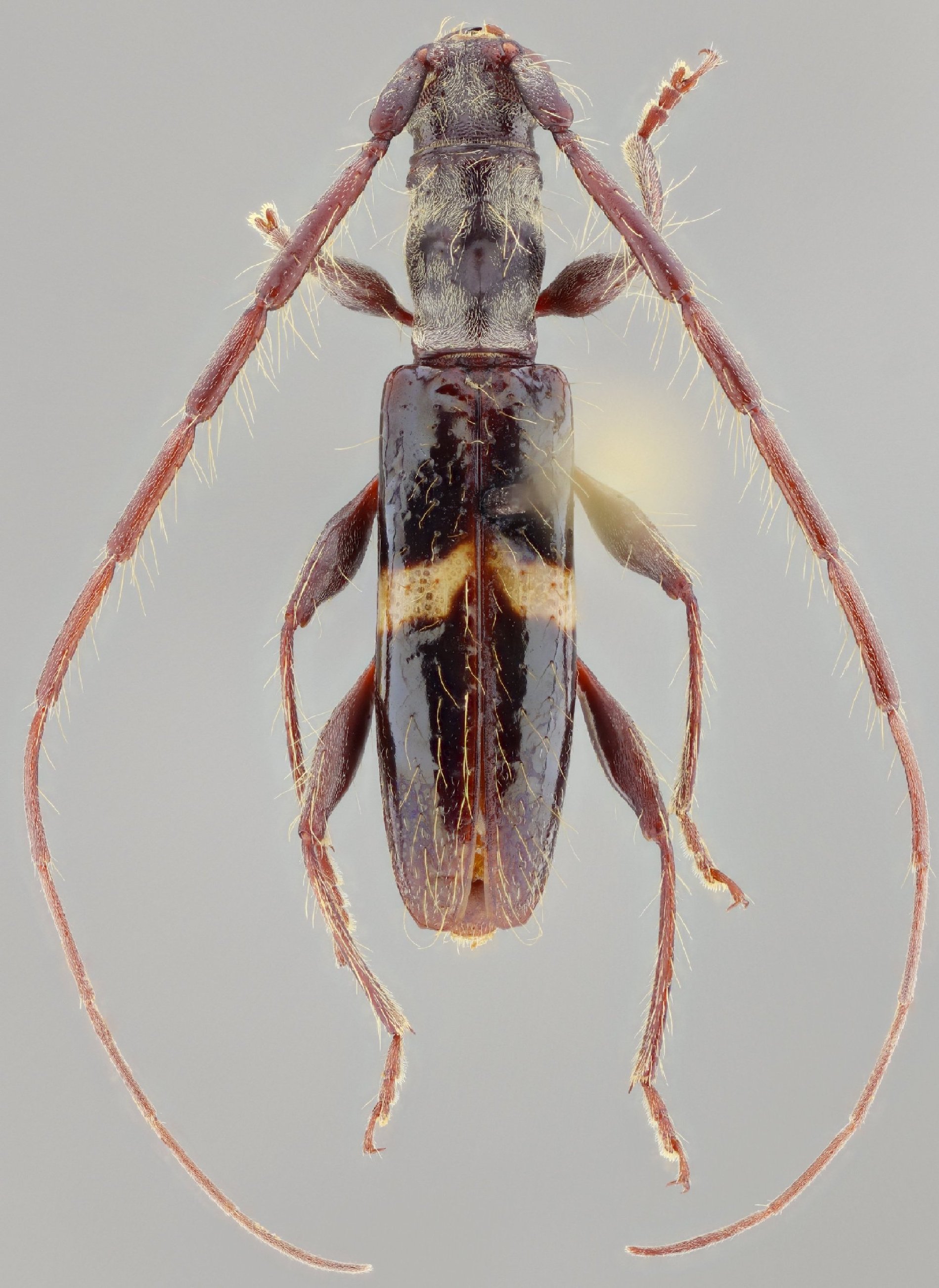
 Garcia SS FSCA El Arenal Heloderma Cons Res, Zacapa, Guatemala SS.jpg)
Specimen Type: holotype Sex: m Institution: FSCA Florida State Collection of Arthropods, Gainesville, FL, USA Photographer: Antonio Santos-Silva Collection Location: El Arenal Heloderma Conservation Reserve, Zacapa, Guatemala 78796
|
 Garcia SS FSCA El Arenal Heloderma Cons Res, Zacapa, Guatemala SS.jpg)
Specimen Type: holotype Sex: m Institution: FSCA Florida State Collection of Arthropods, Gainesville, FL, USA Photographer: Antonio Santos-Silva Collection Location: El Arenal Heloderma Conservation Reserve, Zacapa, Guatemala 78797
|
 Garcia SS MZSP El Arenal Heloderma Cons Res, Zacapa, Guatemala SS.jpg)
Specimen Type: paratype Sex: m Institution: MZSP Museu de Zoologia da Universidade de São Paulo, Brazil Photographer: Antonio Santos-Silva Collection Location: El Arenal Heloderma Conservation Reserve, Zacapa, Guatemala 78798
|
|