_Martins_MNRJ_SWL.jpg)
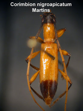
Specimen Type: holotype Sex: f Institution: MNRJ Museu Nacional Universidade do Rio Janeiro, Brazil Photographer: Steve Lingafelter Collection Location: Nueva Moka, Santa Cruz, Bolivia 6076
|
_Martins_Bolivia_Wappes_Photo.jpg)
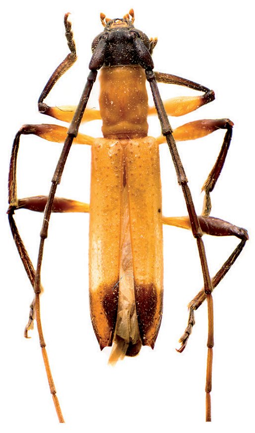
Specimen Type: paratype Photographer: Jim Wappes Collection Location: Bolivia 6077
|

Photographer: Jim Wappes Collection Location: Bolivia 6078
|

Institution: MZUS Museo Zoológico de la Universidad de Sucre, Sucre, Colombia Photographer: Juan Pablo Botero Collection Location: Los Palmitos, Finca el Oriente, Sucre, Colombia 72888
|
|