New Search
Family, Subfamily and Tribe List
Family
Cerambycinae
SubFamily
Cerambycinae
Tribe
Typhocesini
Genus
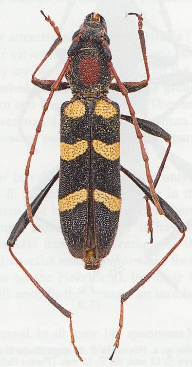
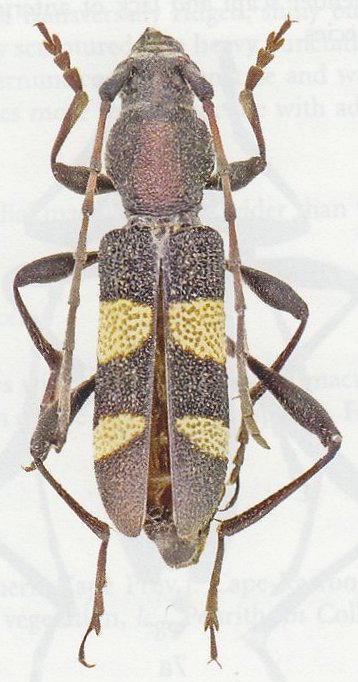
Bixorestes
Bixorestes
arcuatus
Bixorestes
clennellae
Bixorestes
hottentottus
Bixorestes
illustris
Bixorestes
karooenesis
Bixorestes
piceki
Bixorestes
picekioides
Bixorestes
pulchella
130503