New Search Family, Subfamily and Tribe List

SubFamily Cerambycinae

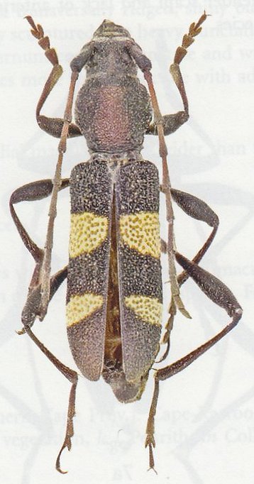
Tribe Typhocesini
Bixorestes karooenesis Bjørnstad 2017

Specimen Type: holotype
Sex: f
Institution: TMSA Ditsong: National Museum of Natural History, Pretoria, South Africa
Photographer: Halvard Elven
Collection Location: Lanara Farm, Cape Karoo N Cape Prov, South Africa
90295

130425