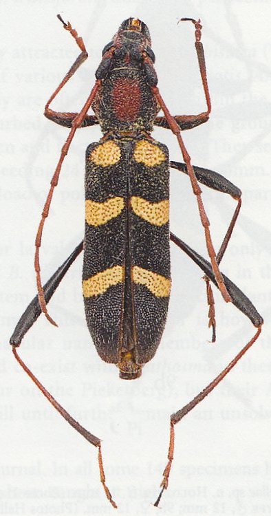
 Oliv TMSA Grafwater District, W Cape Prov, South Africa now Bixorestes Karsten Sund pic.jpg)
Callidium hottentottus Olivier Specimen Type: neotype Sex: m Institution: TMSA Ditsong: National Museum of Natural History, Pretoria, South Africa Photographer: Karsten Sund Collection Location: Grafwater District, W Cape Prov, South Africa 90299
|
 (Oliv) TMSA Grafwater District, W Cape Prov, South Africa Karsten Sund pic.jpg)
Sex: f Institution: TMSA Ditsong: National Museum of Natural History, Pretoria, South Africa Photographer: Karsten Sund Collection Location: Grafwater District, W Cape Prov, South Africa 90292
|