New Search Family, Subfamily and Tribe List
new world both worldsboth worlds old world
Family Cerambycinae
SubFamily Cerambycinae
Tribe Elaphidiini

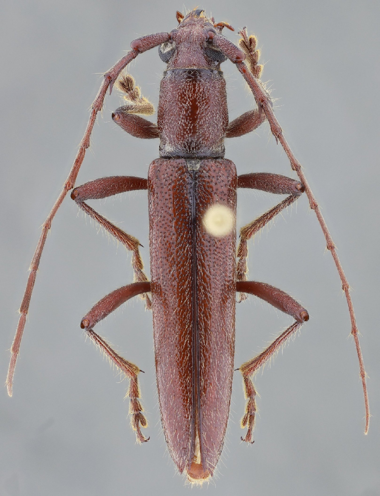
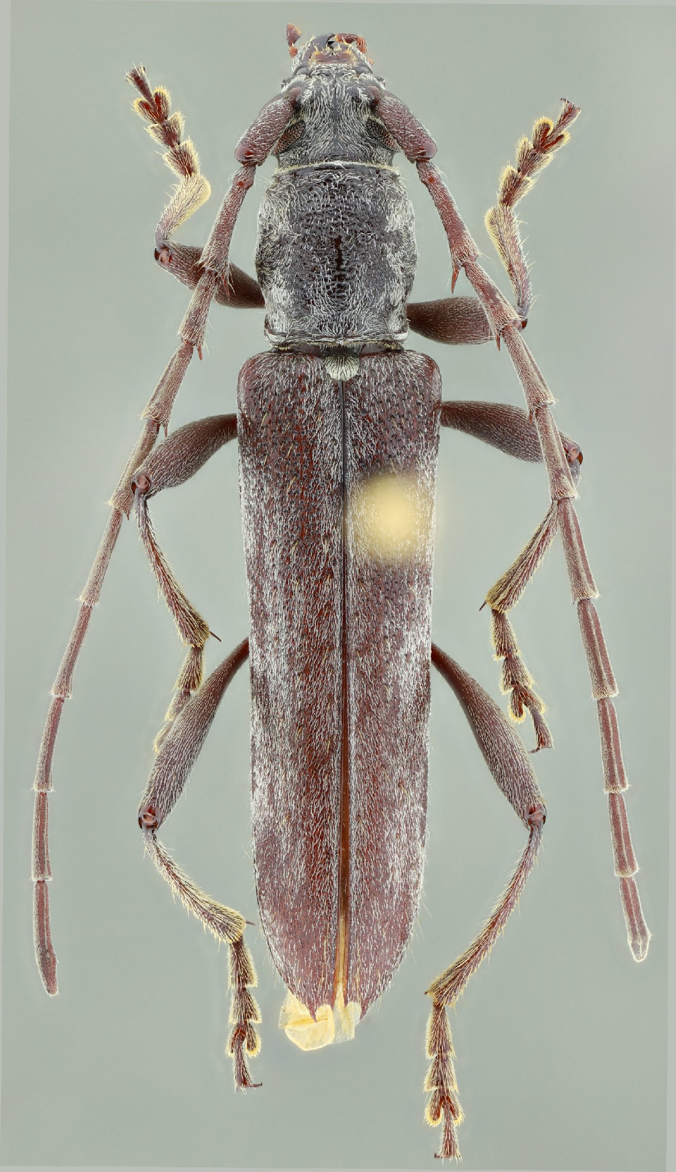
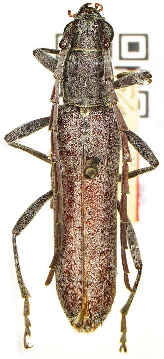
Genus Aneflus


Aneflus
basicornis


Aneflus
bullocki


Aneflus
calvatus


Aneflus
cylindricollis


Aneflus
glabropunctatus


Aneflus
humeralis


Aneflus
levettei


Aneflus
longissimus


Aneflus
macraei


Aneflus
maryannae


Aneflus
minutivestis


Aneflus
monzoni


Aneflus
nivarius


Aneflus
obscurus


Aneflus
paracalvatus


Aneflus
pilosicornis


Aneflus
planus


Aneflus
poriferus


Aneflus
prolixus
prolixus


Aneflus
prolixus
fisheri


Aneflus
prolixus
insoletus


Aneflus
protensus
protensus


Aneflus
protensus
pallidus


Aneflus
pubescens


Aneflus
rugicollis


Aneflus
sericatus


Aneflus
sonoranus


Aneflus
variegatus

Aneflus
zilchi
 
130503