 Heff SS TAMU 6 km E Tehuantepec, Oaxaca, Mexico SS.jpg)
Specimen Type: holotype Sex: m Institution: TAMU Texas A & M University, College Station, Texas, USA Photographer: Antonio Santos-Silva Collection Location: 6 km E Tehuantepec, Oaxaca, Mexico 96791
|
 Heff SS TAMU 6 km E Tehuantepec, Oaxaca, Mexico SS.jpg)
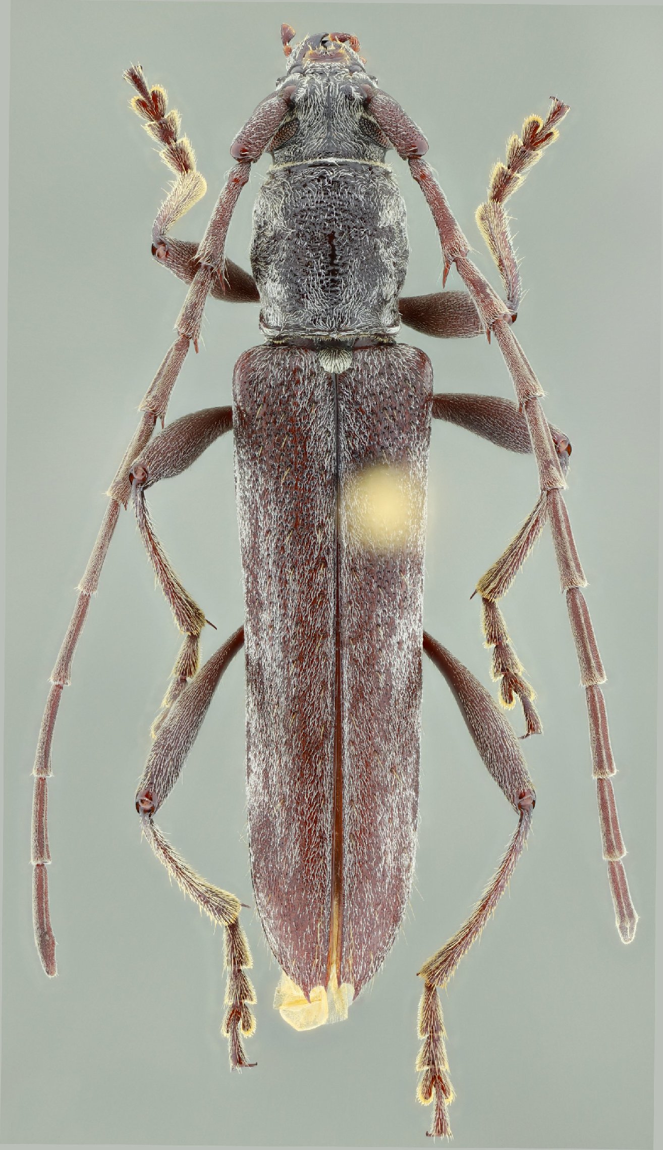
Specimen Type: holotype Sex: m Institution: TAMU Texas A & M University, College Station, Texas, USA Photographer: Antonio Santos-Silva Collection Location: 6 km E Tehuantepec, Oaxaca, Mexico 96792
|
 Heff SS TAMU 6 km E Tehuantepec, Oaxaca, Mexico SS.jpg)
Specimen Type: holotype Sex: m Institution: TAMU Texas A & M University, College Station, Texas, USA Photographer: Antonio Santos-Silva Collection Location: 6 km E Tehuantepec, Oaxaca, Mexico 96793
|
 Heff SS TAMU 6 km E Tehuantepec, Oaxaca, Mexico SS.jpg)
Specimen Type: holotype Sex: m Institution: TAMU Texas A & M University, College Station, Texas, USA Photographer: Antonio Santos-Silva Collection Location: 6 km E Tehuantepec, Oaxaca, Mexico 96794
|
|