_Chem_and_Giesb_UNAM_Chamela_Jalisco_Mex.jpg)
Specimen Type: paratype Institution: UNAM Instituto de Biología, Universidad Nacional Autónoma de México, Mexico City Photographer: Susan Gomez (UNAM) Collection Location: Chamela, Jalisco, Mexico 29940
|
_Chem_and_Giesb_UNAM_Chamela_Jalisco_Mex.jpg)
Specimen Type: paratype Institution: UNAM Instituto de Biología, Universidad Nacional Autónoma de México, Mexico City Photographer: Susan Gomez (UNAM) Collection Location: Chamela, Jalisco, Mexico 29941
|
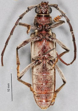
_Chem_and_Giesb_UNAM_Chamela_Jalisco_Mex.jpg)
Specimen Type: paratype Institution: UNAM Instituto de Biología, Universidad Nacional Autónoma de México, Mexico City Photographer: Susan Gomez (UNAM) Collection Location: Chamela, Jalisco, Mexico 29942
|
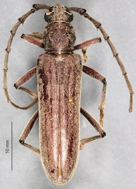
_Chemsak_and_Giesbert_Chamela_UCB.jpg)
Specimen Type: paratype Institution: UCB Essig Museum of Entomology, Berkeley, California, USA Photographer: Larry G. Bezark Collection Location: Chamela, Mexico 4373
|

Institution: CAS California Academy of Sciences, San Francisco, CA, USA Photographer: Larry G. Bezark 4374
|

Institution: FTH Frank T. Hovore collection (now at California Academy of Sciences) Photographer: Larry G. Bezark 4375
|
|