New Search
Family, Subfamily and Tribe List
Family
SubFamily
Tribe
Disteniini
Genus
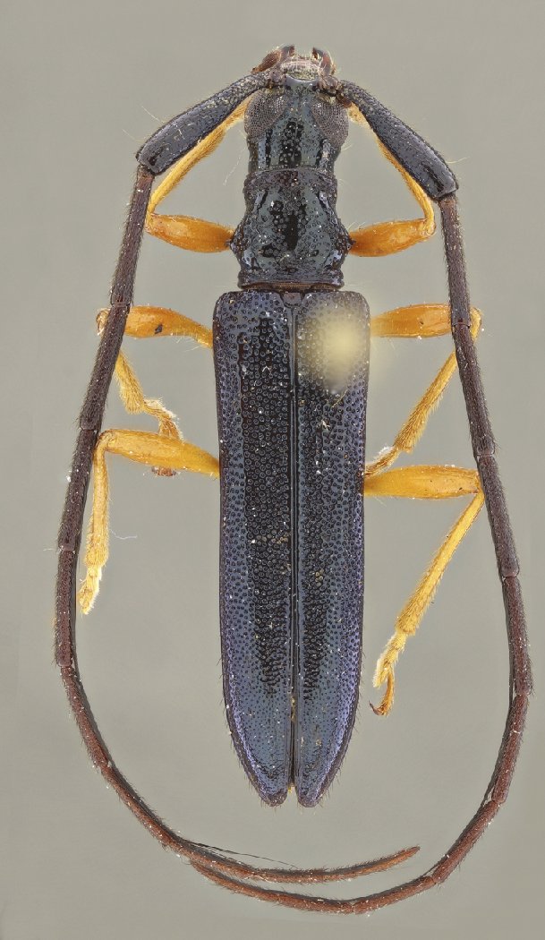
Abauba
Abauba
ericae
Abauba
flavipes
Abauba
iani
Abauba
mediorufovittata
Abauba
napoensis
130503