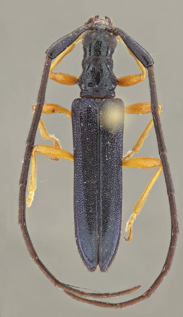
 SS Tava MZSP 2 km E, 6-15 km N Lumbaqui, Sucre, Ecuador JPB SS.jpg)
Specimen Type: paratype Sex: f Institution: MZSP Museu de Zoologia da Universidade de São Paulo, Brazil Photographer: Juan Pablo Botero & Antonio Santos-Silva Collection Location: 2 km E & 6-15 km N Lumbaqui, Sucre, Ecuador 96447
|
 SS Tava MZSP 2 km E, 6-15 km N Lumbaqui, Sucre, Ecuador JPB SS.jpg)
Specimen Type: paratype Sex: f Institution: MZSP Museu de Zoologia da Universidade de São Paulo, Brazil Photographer: Juan Pablo Botero & Antonio Santos-Silva Collection Location: 2 km E & 6-15 km N Lumbaqui, Sucre, Ecuador 96448
|
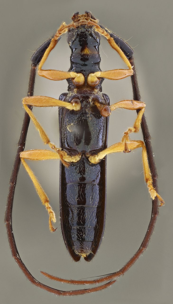
_SS_and_Tav_Ecuador.jpg)
Specimen Type: paratype Sex: m Photographer: Antonio Santos-Silva Collection Location: Ecuador 27642
|

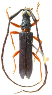
Institution: LGBC Larry G. Bezark Collection, Sacramento, California, USA Photographer: Larry G. Bezark Collection Location: 5-24 km NE San Pedro, Napo, Ecuador 44797
|
|