_Martins_and_Galileo_MZSP_SWL_=_Cometes.jpg)
Paracometes ericae Martins & Galileo Specimen Type: holotype Institution: MZSP Museu de Zoologia da Universidade de São Paulo, Brazil Photographer: Steve Lingafelter 11669
|
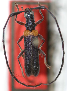
 Martins & Galileo MZSP Faz Ceu, S do Lajeado, Tocantins, Brazil now Abaub JPB SS.jpg)
Paracometes ericae Martins & Galileo Specimen Type: holotype Sex: f Institution: MZSP Museu de Zoologia da Universidade de São Paulo, Brazil Photographer: Juan Pablo Botero & Antonio Santos-Silva Collection Location: Faz Ceu, S do Lajeado, Tocantins, Brazil 96547
|