New Search Family, Subfamily and Tribe List
new world both worldsboth worlds old world
Family Lamiinae
SubFamily Lamiinae
Tribe Pogonocherini

Genus Pogonocherus


Pogonocherus
anatolicus


Pogonocherus
arizonicus

Pogonocherus
barbarae
 

Pogonocherus
caroli


Pogonocherus
cedri

Pogonocherus
creticus
 

Pogonocherus
decoratus


Pogonocherus
dimidiatus


Pogonocherus
ehdenensis


Pogonocherus
eugeniae
eugeniae


Pogonocherus
eugeniae
taygetanus


Pogonocherus
fasciculatus
fasciculatus

Pogonocherus
fasciculatus
hondoensis 

Pogonocherus
hispidulus


Pogonocherus
hispidus


Pogonocherus
inermicollis

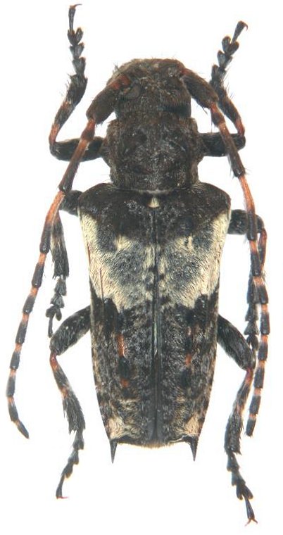
Pogonocherus
marcoi
 

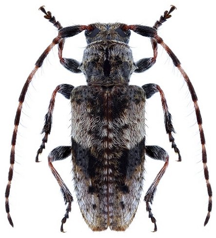
Pogonocherus
mixtus


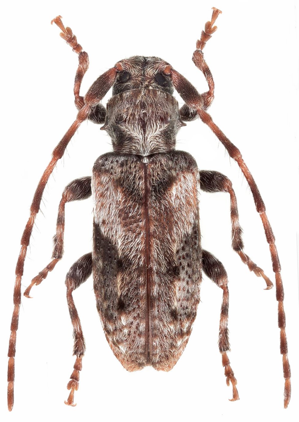
Pogonocherus
neuhausi


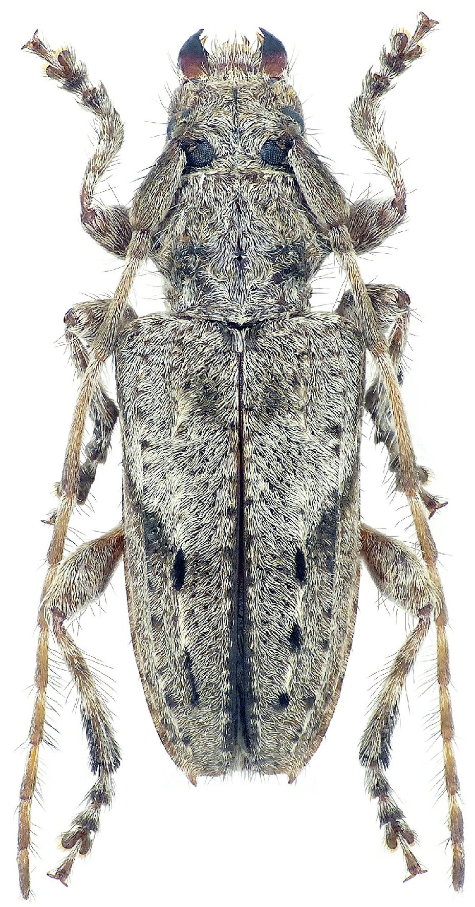
Pogonocherus
ovatoides


Pogonocherus
ovatus


Pogonocherus
paradimidiatus


Pogonocherus
parvulus


Pogonocherus
penicillatus


Pogonocherus
pepa


Pogonocherus
perroudi
brevipilosus


Pogonocherus
perroudi
perroudi


Pogonocherus
pesarinii


Pogonocherus
pictus


Pogonocherus
plasoni


Pogonocherus
ressli

Pogonocherus
shaumii?
 

Pogonocherus
sieversi

Pogonocherus
slamai
 

Pogonocherus
sturanii

Pogonocherus
zubovi
 
130503