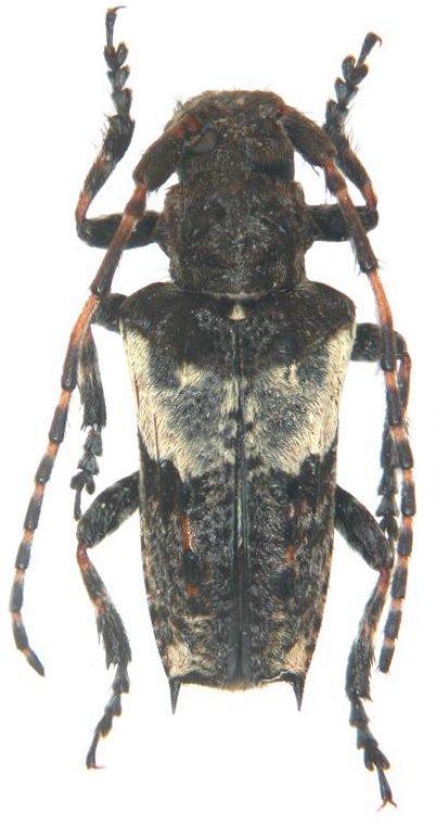
_Lazarev_coll_NNW_Kaba_S_Gansu_China.jpg)
Specimen Type: holotype Sex: f Institution: Lazarev Collection Photographer: Maxim Lazarev Collection Location: NNW Kaba, S Gansu Province, China 74387
|
_Lazarev_coll_WNW_Jiuzhalgou_N_Sichuan_China.jpg)
Specimen Type: paratype Sex: f Institution: Lazarev Collection Photographer: Maxim Lazarev Collection Location: WNW Jiuzhalgou, N Sichuan Province, China 74388
|