_Verd_and_Torres-Mend_MNCN_Madrid_Valdeinfierno_Los_Barrios_Cadiz_Spain.jpg)
Specimen Type: holotype Sex: m Institution: MNCN Museo Nacional de Ciencias Naturales, Madrid, Spain Determiner: Boletín de la Sociedad Entomológica Aragonesa Collection Location: arroyo Valdeinifierno, Los Barrios, Cadiz, Spain 57320
|

Photographer: Antonio Verdugo Collection Location: Tangiers, Morocco 75159
|

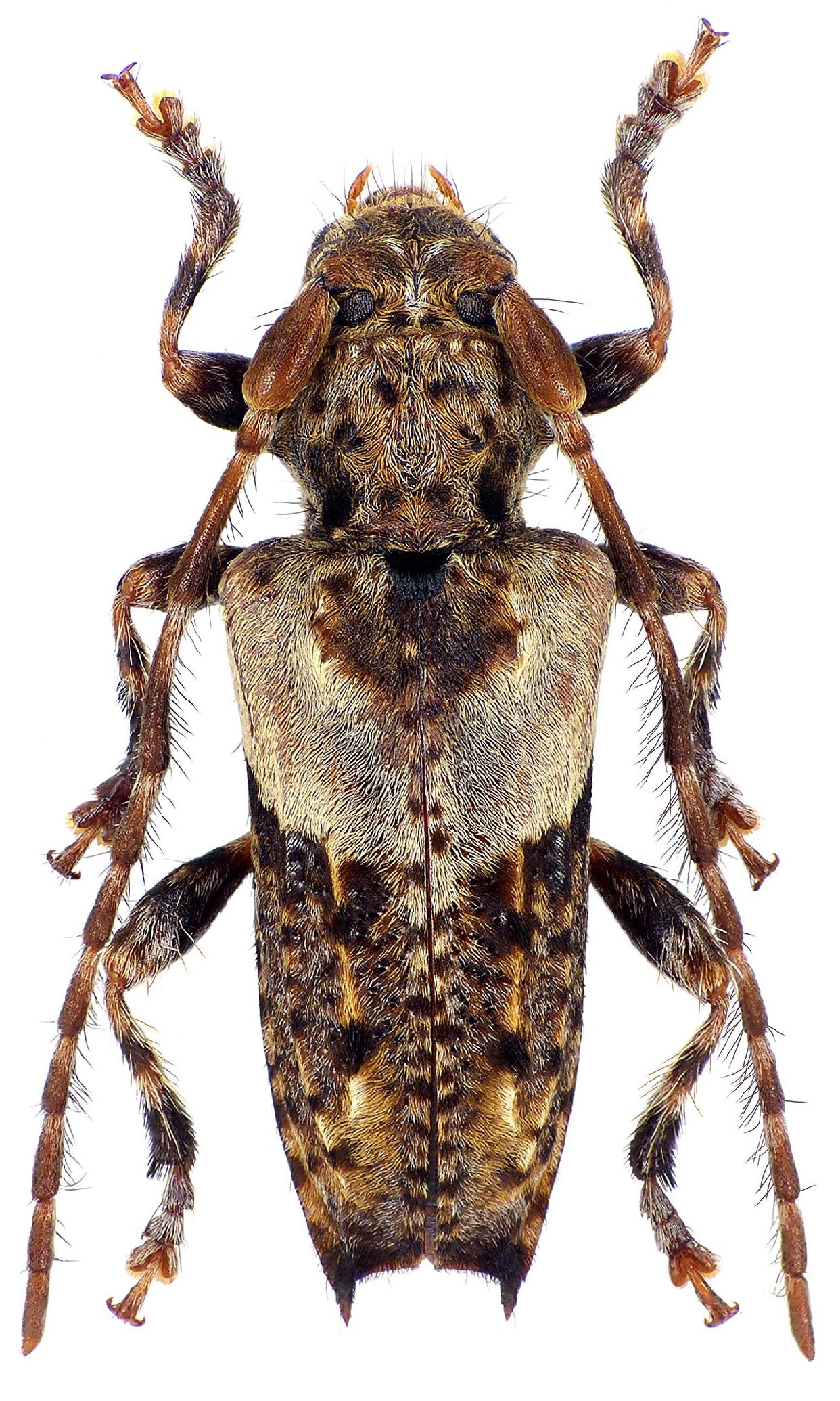
Photographer: Navratil & Hoskovec Collection Location: Arroyo Valdeinfierno, Los Barrios, Cadiz Province, Andalusia, Spain 81836
|
|