New Search Family, Subfamily and Tribe List

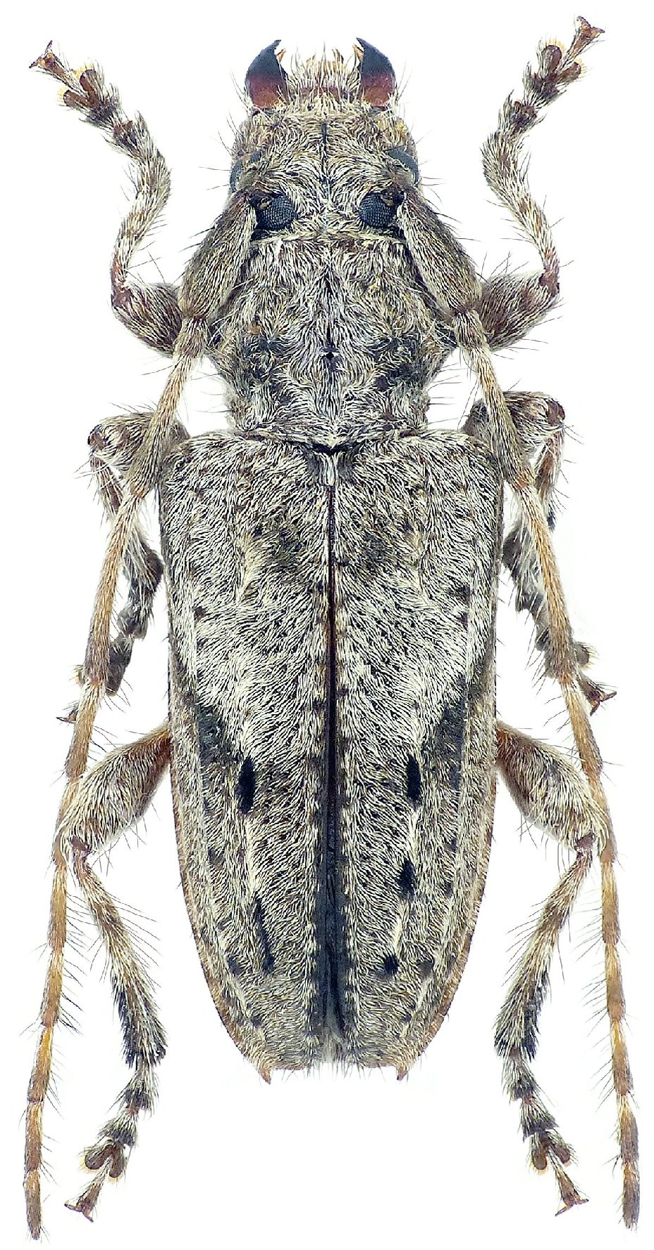
SubFamily Lamiinae

Tribe Pogonocherini
Pogonocherus caroli Mulsant 1863

Photographer: Navratil & Hoskovec
Collection Location: vic Aiguines, Provence-Alpes-Cote d'Azur Region, SE France
81832


Institution: BMNH British Museum Natural History, London, UK
65948


Photographer: Celikovsky
Collection Location: Grand Cyn du Verdon, France
57293

130425