New Search Family, Subfamily and Tribe List
new world both worldsboth worlds old world
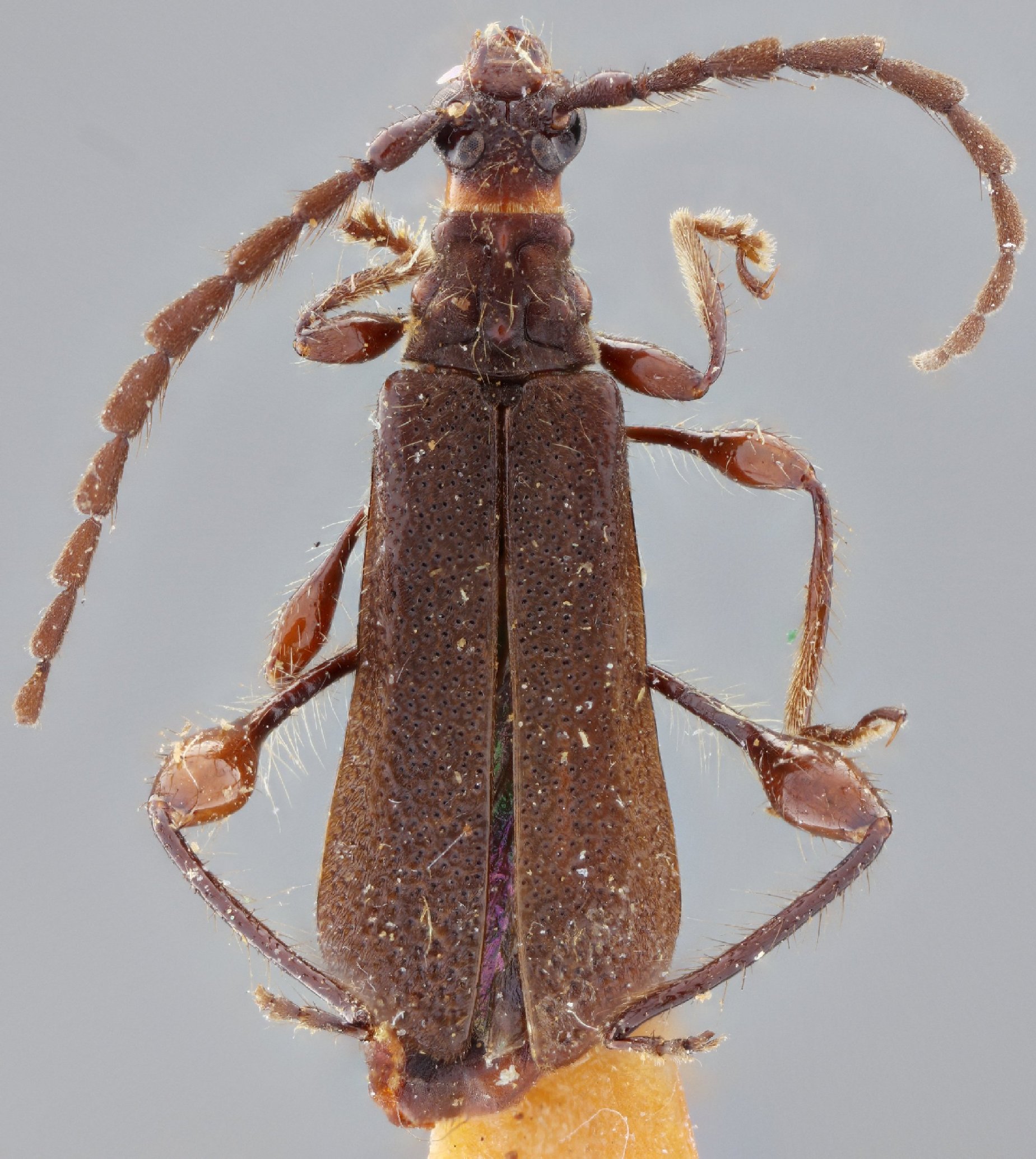
Family Cerambycinae
SubFamily Cerambycinae
Tribe Oxycoleini

Genus Wappesia


Wappesia
cyaneus


Wappesia
gahani


Wappesia
tristis

130503