 Melzer MZSP Mafra, Santa Catarina, Brazil now Wappesia trist SS.jpg)
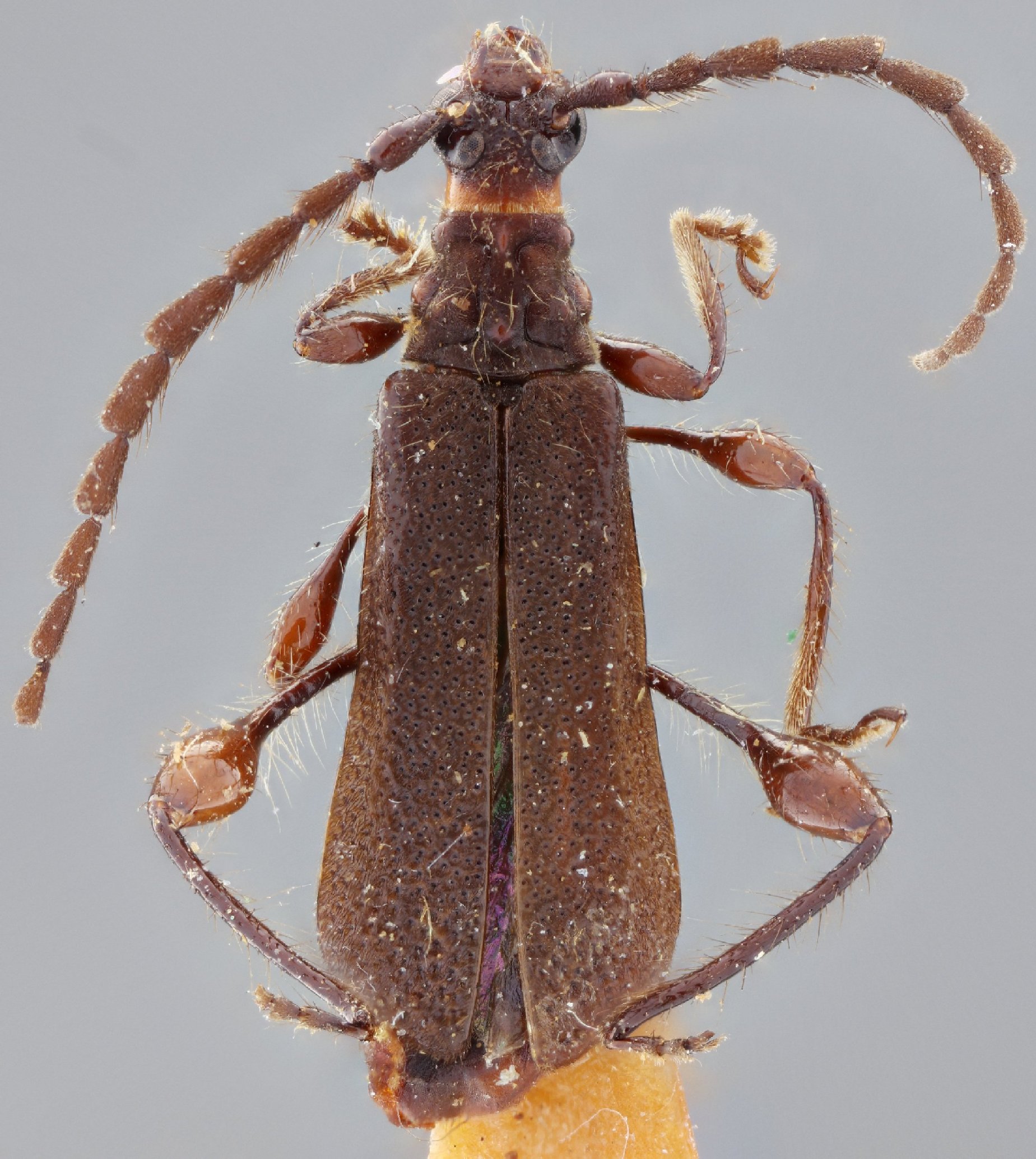
Tethlimmena gahani tristis Melzer Specimen Type: holotype Sex: f Institution: MZSP Museu de Zoologia da Universidade de São Paulo, Brazil Photographer: Antonio Santos-Silva Collection Location: Mafra, Santa Catarina, Brazil 33902
|
_Zajciw_MNRJ_SWL_=_Oxycoleus_tristis_(Melzer).jpg)
Merionoeda latipennis Zajciw Specimen Type: holotype Sex: m Institution: MNRJ Museu Nacional Universidade do Rio Janeiro, Brazil Photographer: Steve Lingafelter Collection Location: Mafra, Santa Catarina, Brazil 9915
|