New Search Family, Subfamily and Tribe List
new world both worldsboth worlds old world
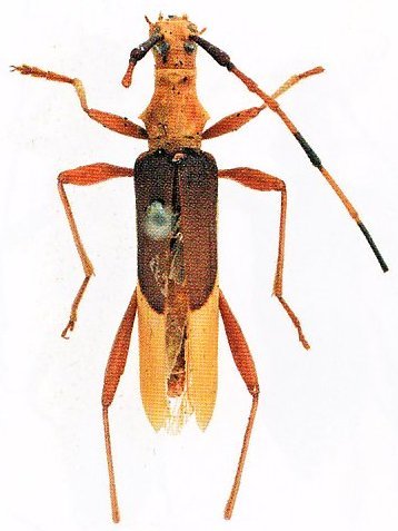
Family Cerambycinae
SubFamily Cerambycinae
Tribe Phlyctaenodini

Genus Tricheops


Tricheops
ephippiger

Tricheops
guillemeti
 
Tricheops
remus
 
130503