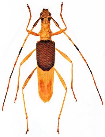
_Newman_OXUM_Aust_Slip_Esc.jpg)
Specimen Type: syntype Institution: OXUM Hope Department of Entomology, Oxford University Museum of Natural History, England Photographer: Slipinski & Escalona Collection Location: Australia 62004
|
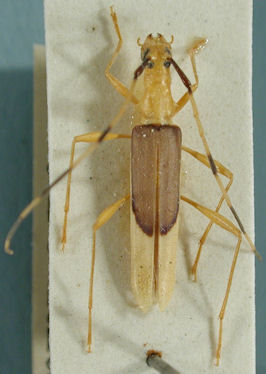
_Newman_BMNH_Aust_Slip_Esc.jpg)
Specimen Type: syntype Institution: BMNH British Museum Natural History, London, UK Photographer: Slipinski & Escalona Collection Location: Australia 62005
|

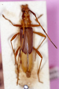
Photographer: Slipinski & Escalona 62006
|
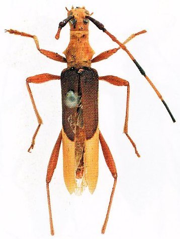
_Newman_Slip_Esc.jpg)
Photographer: Slipinski & Escalona 62007
|

Institution: CAS California Academy of Sciences, San Francisco, CA, USA Photographer: Larry G. Bezark 66110
|

Photographer: Jim Cope Collection Location: Australia 66111
|