New Search
Family, Subfamily and Tribe List
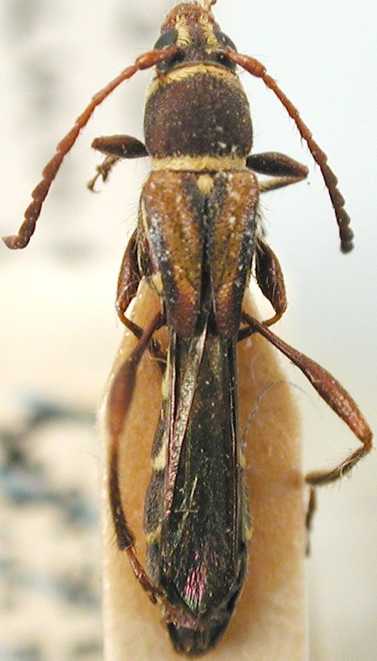
Family
Cerambycinae
SubFamily
Cerambycinae
Tribe
Rhinotragini
Genus
Tomopterchasia
Tomopterchasia
cuneiformis
Tomopterchasia
sullivanorum
130503