_Fisher_AMNH_Nova_Teutonia_Santa_Catarina_Brazil.jpg)
Ischasia cuneiformis Fisher Specimen Type: holotype Sex: m Institution: AMNH American Museum of Natural History, New York, NY, USA Collection Location: Nova Teutonia, Santa Catarina, Brazil 27804
|
 Brazil Det Napp JCPC LGB.jpg)
Institution: JCPC Jim Cope Collection, San Jose, California, USA now at CSCA, Sacramento Photographer: Larry G. Bezark Determiner: Dilma Napp Collection Location: Brazil 98101
|
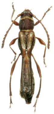
_(Fisher)_MZSP_Nova_Teutonia_SC_Brazil.jpg)
Sex: f Institution: MZSP Museu de Zoologia da Universidade de São Paulo, Brazil Photographer: Robin Clarke Collection Location: Nova Teutonia, Santa Catarina, Brazil 48247
|
|