New Search
Family, Subfamily and Tribe List
Family
Cerambycinae
SubFamily
Cerambycinae
Tribe
Callichromatini
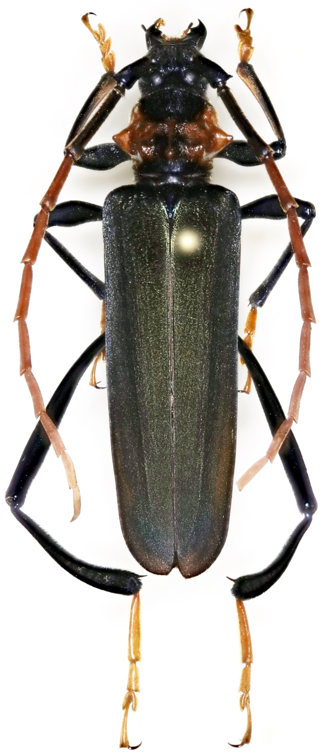
Genus
Tomentaromia
Tomentaromia
basalis
Tomentaromia
cecilae
Tomentaromia
daklakensis
Tomentaromia
delatouchii
Tomentaromia
faldermannii
faldermannii
Tomentaromia
faldermannii
horishanensis
Tomentaromia
gentili
Tomentaromia
gregoryi
Tomentaromia
insolita
Tomentaromia
kontumensis
Tomentaromia
lingafelteri
Tomentaromia
metallicollis
Tomentaromia
muelleri
Tomentaromia
subnigripennis
Tomentaromia
tavakiliani
130503