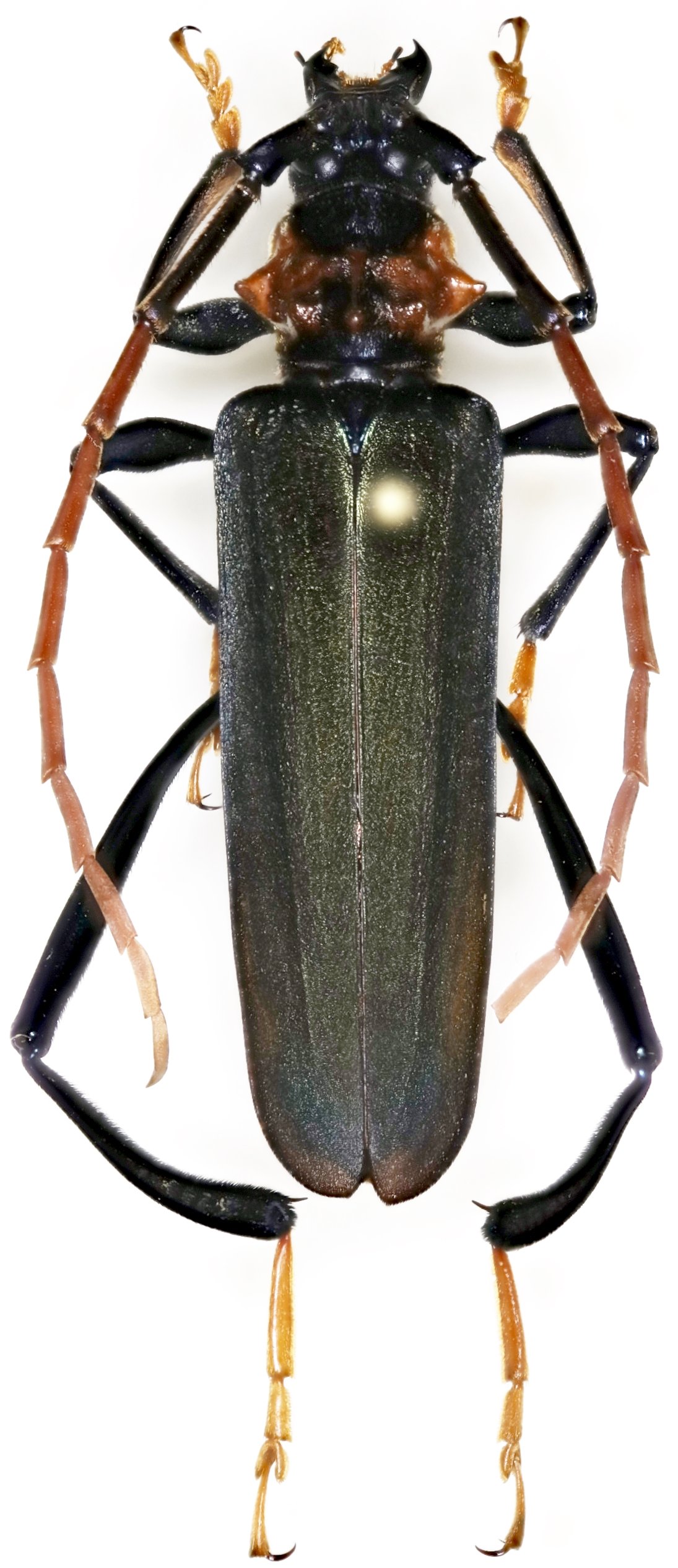
 Skale coll Tam Dao, Vinh Phuc Province, Vietnam.jpg)
Specimen Type: holotype Sex: m Institution: Skale Collection Photographer: Andre Skale Collection Location: Tam Dao, Vinh Phuc Province, Vietnam 81787
|
 Skale coll Yen Bai Province, Vietnam.jpg)
Specimen Type: holotype Sex: f Institution: Skale Collection Photographer: Andre Skale Collection Location: Yen Bai Province, Vietnam 81788
|