New Search Family, Subfamily and Tribe List
new world both worldsboth worlds old world
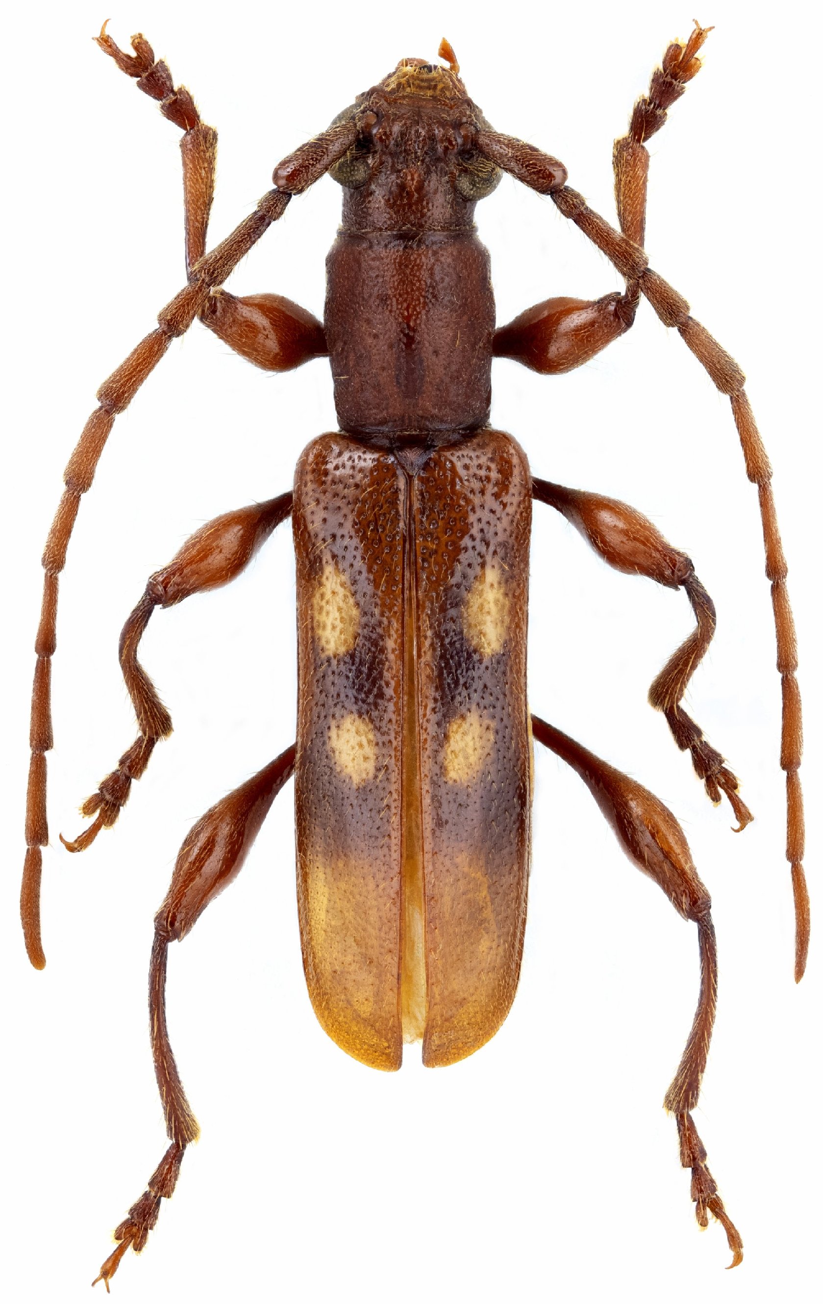
Family Cerambycinae
SubFamily Cerambycinae
Tribe Callidiopini

Genus Stenygrinum


Stenygrinum
quadrinotatum

130503