
Photographer: David Navratil Collection Location: Arsenyev, Primordky krai, Russian Far East 80038
|

Photographer: Meiying Lin 43079
|

Institution: CAS California Academy of Sciences, San Francisco, CA, USA Photographer: Larry G. Bezark 62219
|

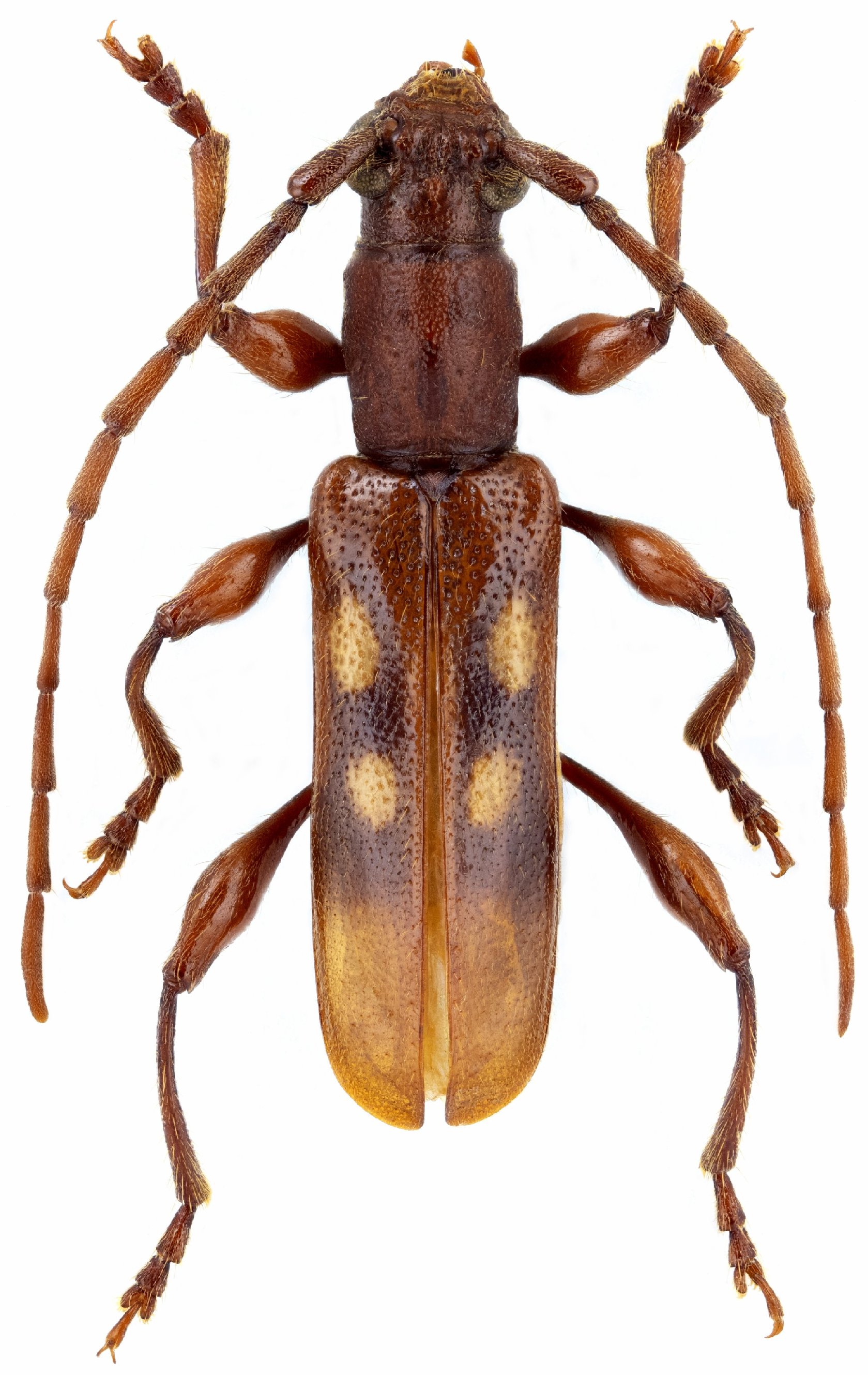
Photographer: Steve Lingafelter Collection Location: Phja-Den, Cao Bang Province, Vietnam 62220
|
|