New Search Family, Subfamily and Tribe List
new world both worldsboth worlds old world
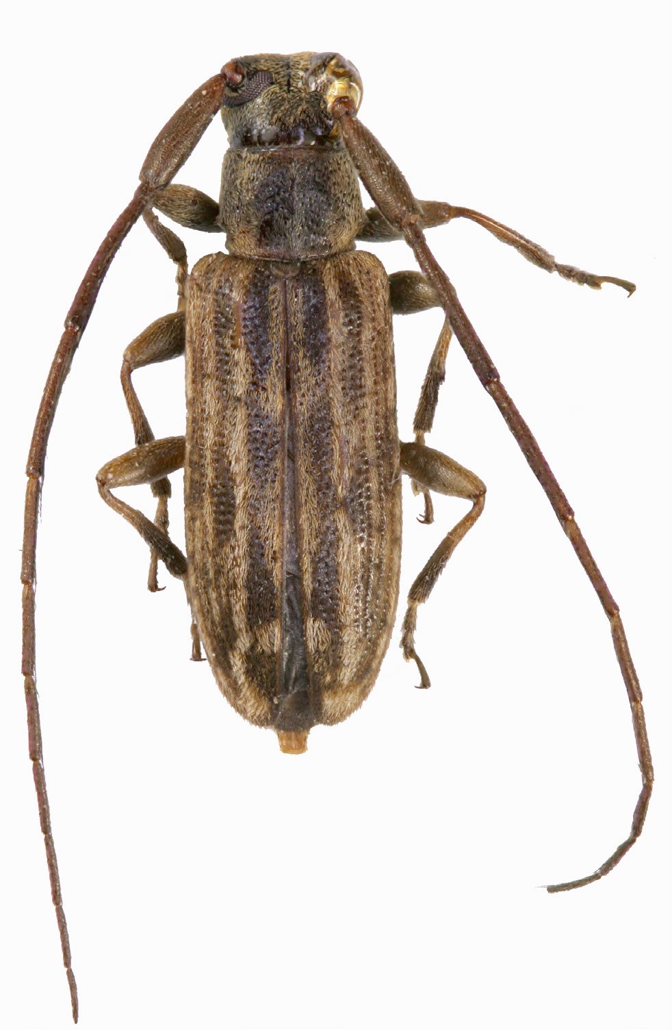
Family Lamiinae
SubFamily Lamiinae
Tribe Acanthocinini

Genus Stenomiaena


Stenomiaena
longelineata

130503