New Search Family, Subfamily and Tribe List

SubFamily Lamiinae

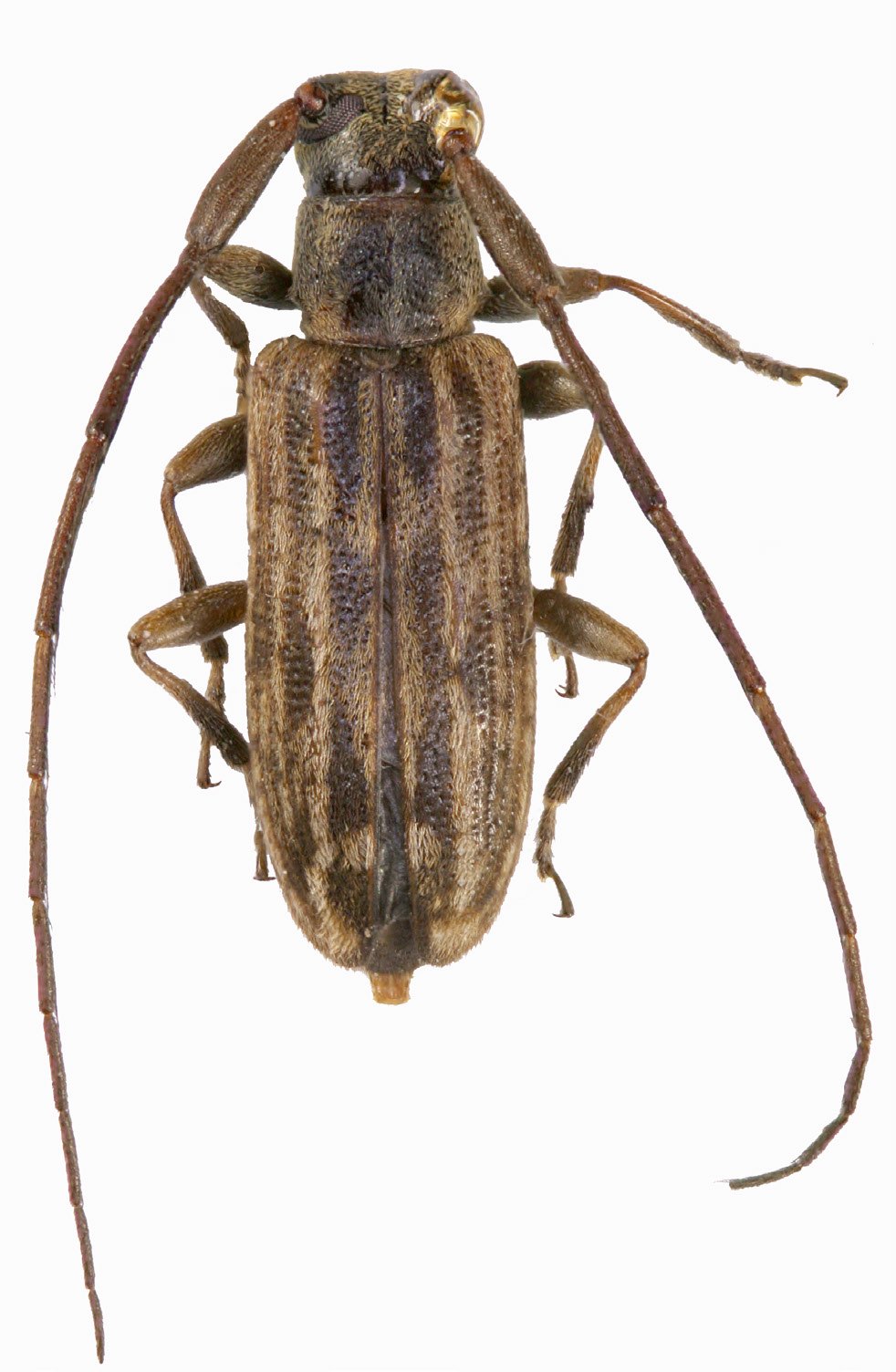
Tribe Acanthocinini
Stenomiaena longelineata Breuning 1961

Sex: m
Institution: Vives Collection
Photographer: Eduard Vives
Collection Location: Magpet, Cotabato, Mindanao, Philippines
78358

130425