New Search Family, Subfamily and Tribe List
new world both worldsboth worlds old world
Family Cerambycinae
SubFamily Cerambycinae
Tribe Tropidini Compsina

Genus Stenoidion


Stenoidion
amphigyum


Stenoidion
apicatum


Stenoidion
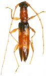
corallinum
corallinum


Stenoidion
corallinum
chapadense

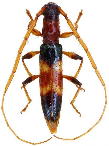
Stenoidion
corallinum
tricolor 

Stenoidion
nicaraguaensis


Stenoidion
schmidi

130503