New Search Family, Subfamily and Tribe List

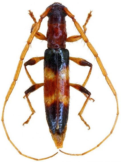
SubFamily Cerambycinae

Tribe Tropidini Compsina
Stenoidion corallinum corallinum (Bates, 1870)

Photographer: Jim Wappes
Collection Location: Bolivia
13457


Photographer: Denis Faure
Collection Location: French Guiana
24101


24102


Photographer: Jean-Louis Giuglaris
Collection Location: Kaw, French Guiana
68129

130425