New Search
Family, Subfamily and Tribe List
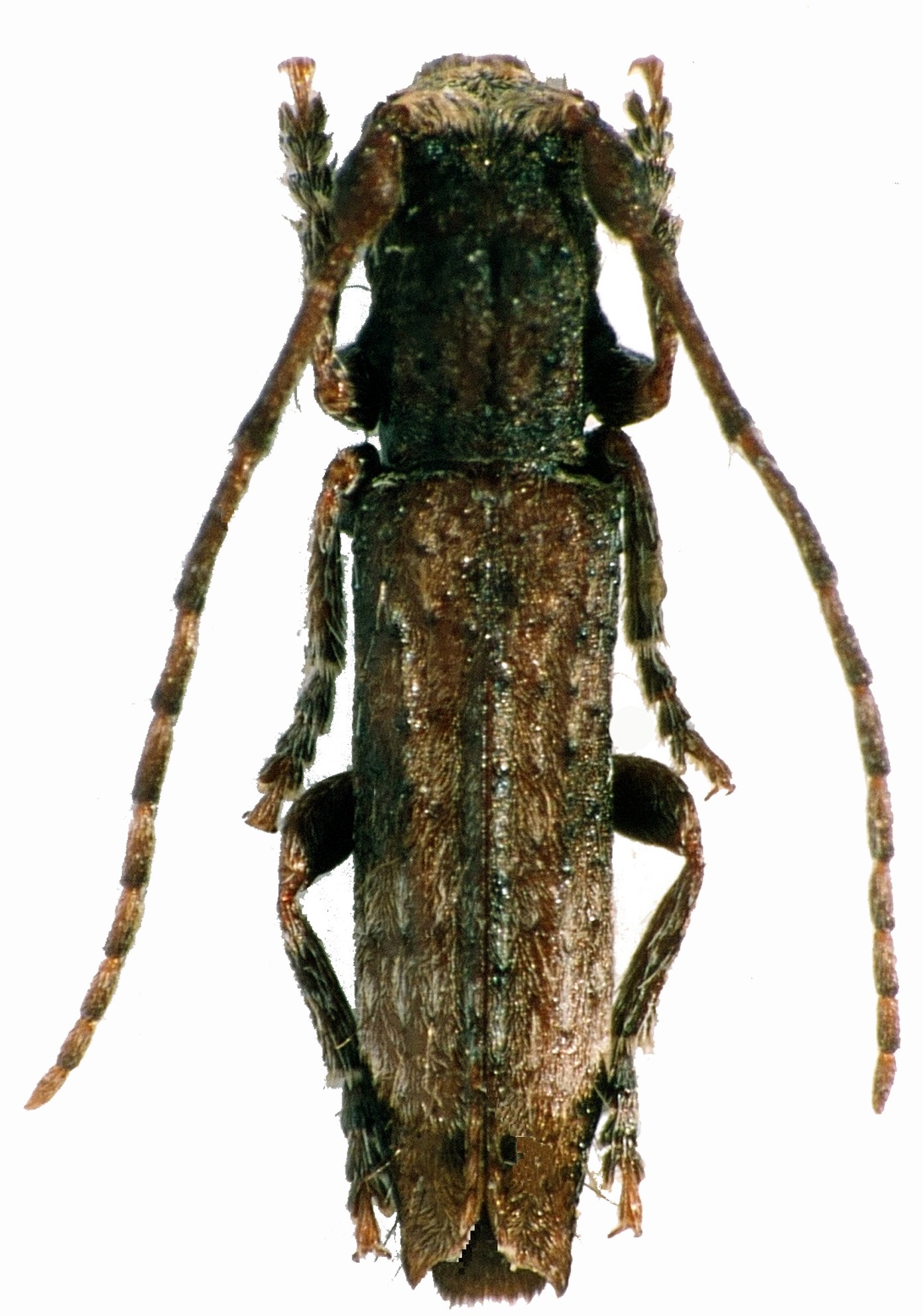
Family
Lamiinae
SubFamily
Lamiinae
Tribe
Desmiphorini
Genus
Stenideogmodera
Stenideogmodera
meliphora
130503