_Sudre_Delatour_SANC_Outeniqua_National_Reserve_W_Cape_Prov_RSA.jpg)
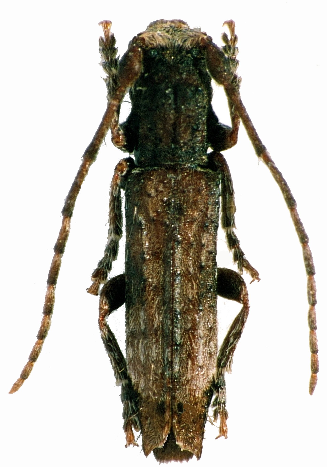
Specimen Type: holotype Sex: m Institution: SANC South African National Collection of Insects, Pretoria Photographer: Jerome Sudre Collection Location: Outeniqua National Reserve, W Cape Province, South Africa 72306
|
_Sudre_Delatour_SANC_Outeniqua_National_Reserve_W_Cape_Prov_RSA.jpg)
Specimen Type: holotype Sex: m Institution: SANC South African National Collection of Insects, Pretoria Photographer: Jerome Sudre Collection Location: Outeniqua National Reserve, W Cape Province, South Africa 72307
|