New Search Family, Subfamily and Tribe List
new world both worldsboth worlds old world
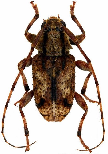
Family Lamiinae
SubFamily Lamiinae
Tribe Acanthoderini

Genus Pycnomorphidiellus


Pycnomorphidiellus
polyphagus

130503