New Search Family, Subfamily and Tribe List

SubFamily Lamiinae

Tribe Acanthoderini
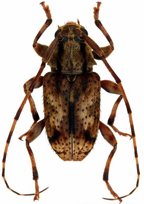
Pycnomorphidiellus polyphagus Tavakilian & Peņaherrera-Leiva 2003

Photographer: Denis Faure
Collection Location: French Guiana
29314


Photographer: Jean-Louis Giuglaris
Collection Location: Pt Saut, French Guiana
29315


Photographer: Denis Faure
Collection Location: French Guiana
22420


Sex: fm
Collection Location: French Guiana
23759

130425