New Search Family, Subfamily and Tribe List
new world both worldsboth worlds old world
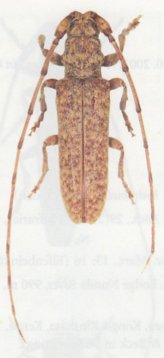
Family Lamiinae
SubFamily Lamiinae
Tribe Apomecynini

Genus Pseudostenidea


Pseudostenidea
rufescens

130503