New Search Family, Subfamily and Tribe List

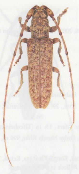
SubFamily Lamiinae

Tribe Apomecynini
Pseudostenidea rufescens Breuning 1953

Sex: m
Photographer: Karl Adlbauer
74057

130425