New Search Family, Subfamily and Tribe List
new world both worldsboth worlds old world
Family Cerambycinae
SubFamily Cerambycinae
Tribe Callichromatini

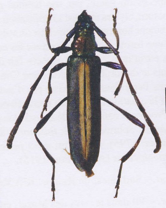
Genus Promeces


Promeces
basalis

Promeces
ducarmei
 

Promeces
fuelleborni

Promeces
garnieri
 
Promeces
kuntzeni
 

Promeces
longipes
longipes


Promeces
longipes
purpuratus

Promeces
longipes
auratus 

Promeces
longipes
austerus

Promeces
longipes
gigas 

Promeces
masai


Promeces
puncticollis
puncticollis


Promeces
puncticollis
bjoernstadi

Promeces
suturalis
auronitens 

Promeces
suturalis
suturalis

Promeces
suturalis
vittatus 
Promeces
testaceipennis
 
130503