 Tippmann MZLU The Doomey, Natal, South Africa.jpg)
Promeces aurolimbus Tippmann Specimen Type: holotype Sex: m Institution: MZLU Biological Museum Lund University, Lund, Sweden Collection Location: The Doomey, Natal, South Africa 96750
|
 Tippmann MZLU The Doomey, Natal, South Africa.jpg)
Promeces aurolimbus Tippmann Specimen Type: holotype Sex: m Institution: MZLU Biological Museum Lund University, Lund, Sweden Collection Location: The Doomey, Natal, South Africa 96752
|
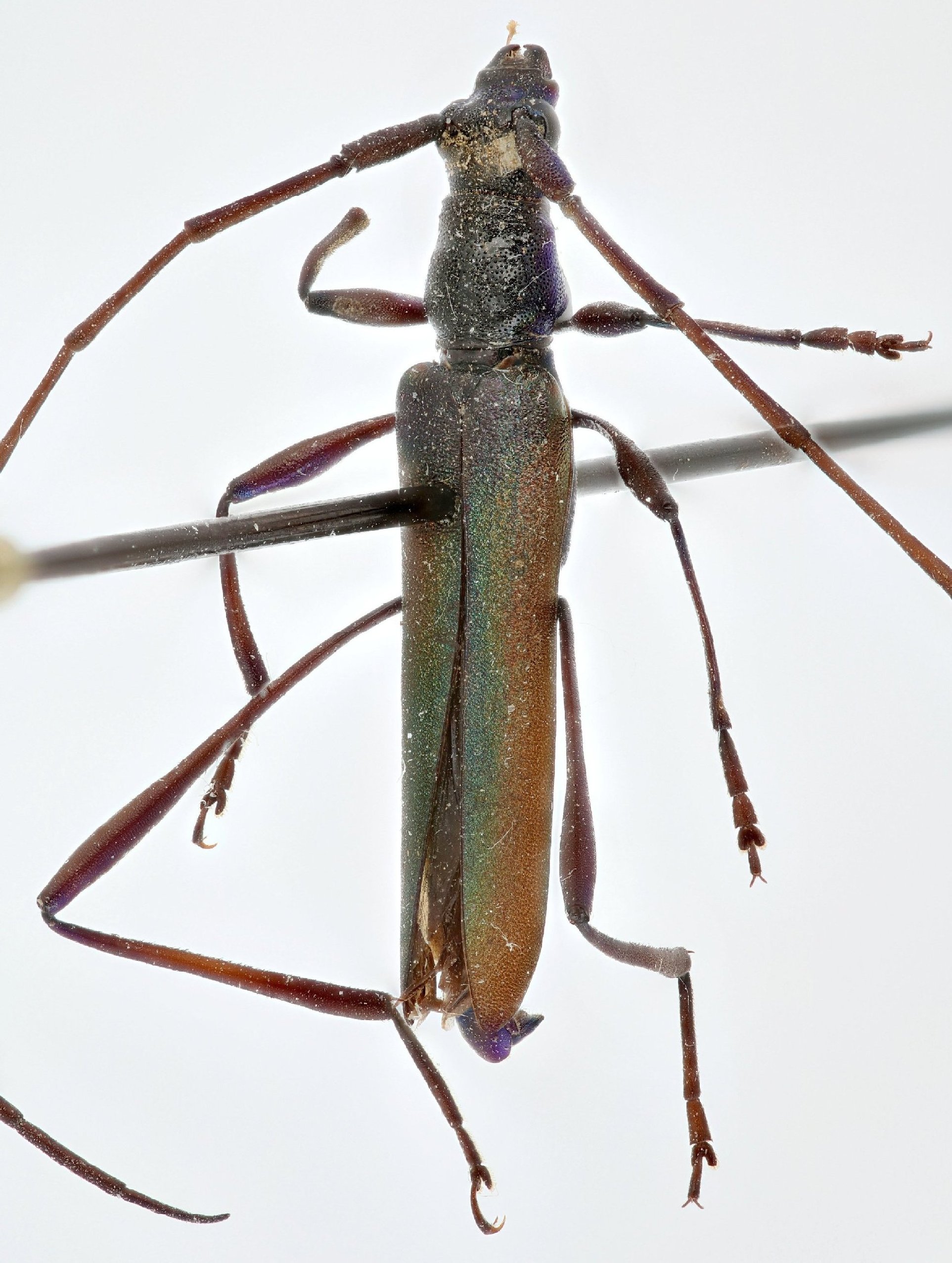
 Tippmann MZLU The Doomey, Natal, South Africa.jpg)
Promeces aurolimbus Tippmann Specimen Type: holotype Sex: m Institution: MZLU Biological Museum Lund University, Lund, Sweden Collection Location: The Doomey, Natal, South Africa 96753
|
 Tippmann MZLU The Doomey, Natal, South Africa.jpg)
Promeces aurolimbus Tippmann Specimen Type: holotype Sex: m Institution: MZLU Biological Museum Lund University, Lund, Sweden Collection Location: The Doomey, Natal, South Africa 96754
|
|