New Search
Family, Subfamily and Tribe List
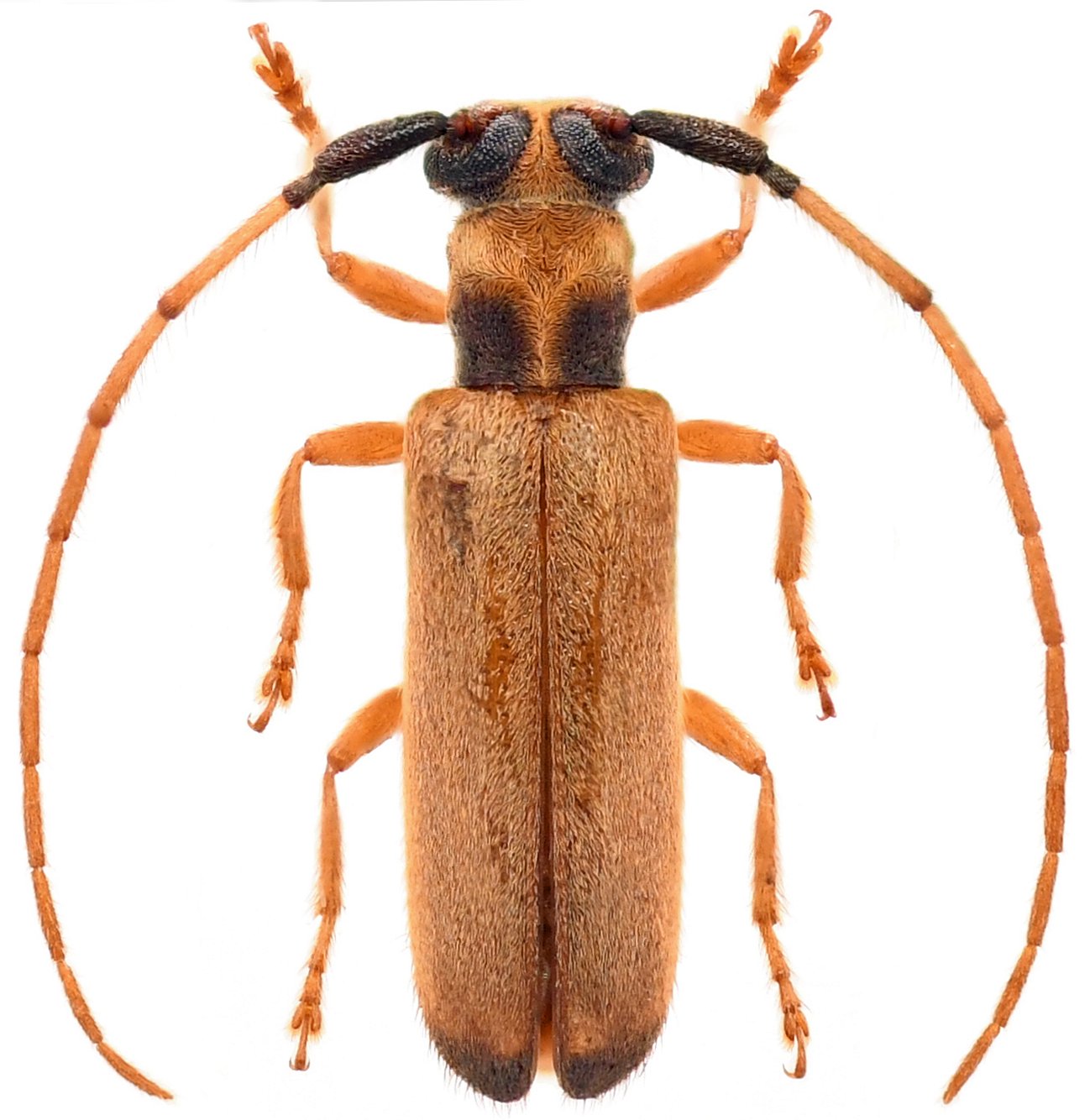
Family
Lamiinae
SubFamily
Lamiinae
Tribe
Pteropliini
Genus
Proanobrium
Proanobrium
patawaense
130503