 Roguet coll pic pk 36 Kaw Mountain, Patawa, Fr Guiana website.jpg)
Specimen Type: holotype Sex: m Institution: Roguet Collection Photographer: JP Roguet, https://lamiinae.org Collection Location: pk 36 Kaw Mountain, Patawa, French Guiana 89963
|
 Roguet coll pic pk 36 Kaw Mountain, Patawa, Fr Guiana.jpg)
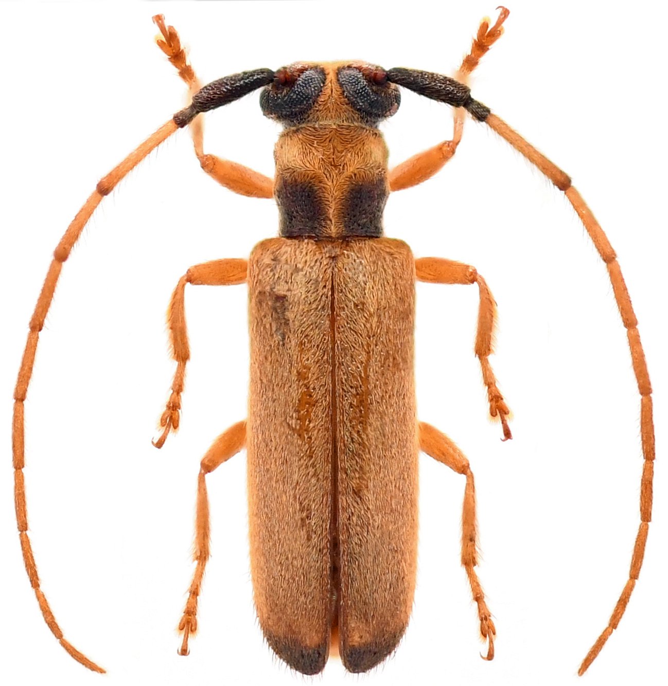
Specimen Type: holotype Sex: m Institution: Roguet Collection Photographer: Jean-Philippe Roguet Collection Location: pk 36 Kaw Mountain, Patawa, French Guiana 89964
|
 Roguet coll pic pk 36 Kaw Mountain, Patawa, Fr Guiana.jpg)
Specimen Type: holotype Sex: m Institution: Roguet Collection Photographer: Jean-Philippe Roguet Collection Location: pk 36 Kaw Mountain, Patawa, French Guiana 89965
|
 Roguet coll pic pk 36 Kaw Mountain, Patawa, Fr Guiana.jpg)
Specimen Type: holotype Sex: m Institution: Roguet Collection Photographer: Jean-Philippe Roguet Collection Location: pk 36 Kaw Mountain, Patawa, French Guiana 89966
|
|