New Search
Family, Subfamily and Tribe List
Family
Cerambycinae
SubFamily
Cerambycinae
Tribe
Clytini
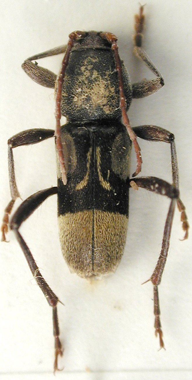
Genus
Plagionotulus
Plagionotulus
dimidiatus
Plagionotulus
dubius
Plagionotulus
pseudancora
Plagionotulus
senegalensis
Plagionotulus
sylvaticus
Plagionotulus
victoriensis
Plagionotulus
westringii
Plagionotulus
zimbabweanus
130503