New Search Family, Subfamily and Tribe List

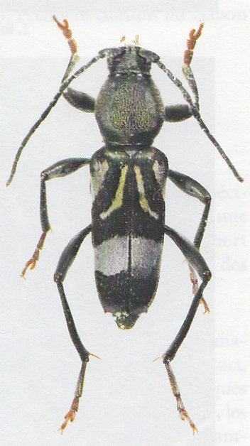
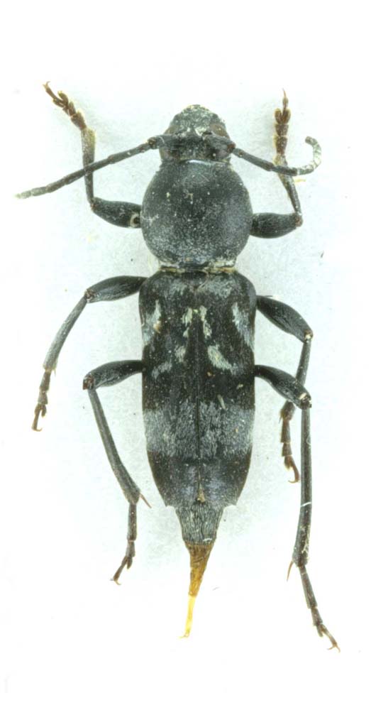
SubFamily Cerambycinae

Tribe Clytini
Plagionotulus sylvaticus Hintz 1911

Photographer: Pierre Juhel
Collection Location: Lope National Park, Gabon
74752


Photographer: Laurent Peru, Cerambycoidea Forum
Determiner: Francesco Vitali, Cerambycoidea Forum
Collection Location: Missahoe forest, Togo
64914

130425