New Search Family, Subfamily and Tribe List
new world both worldsboth worlds old world
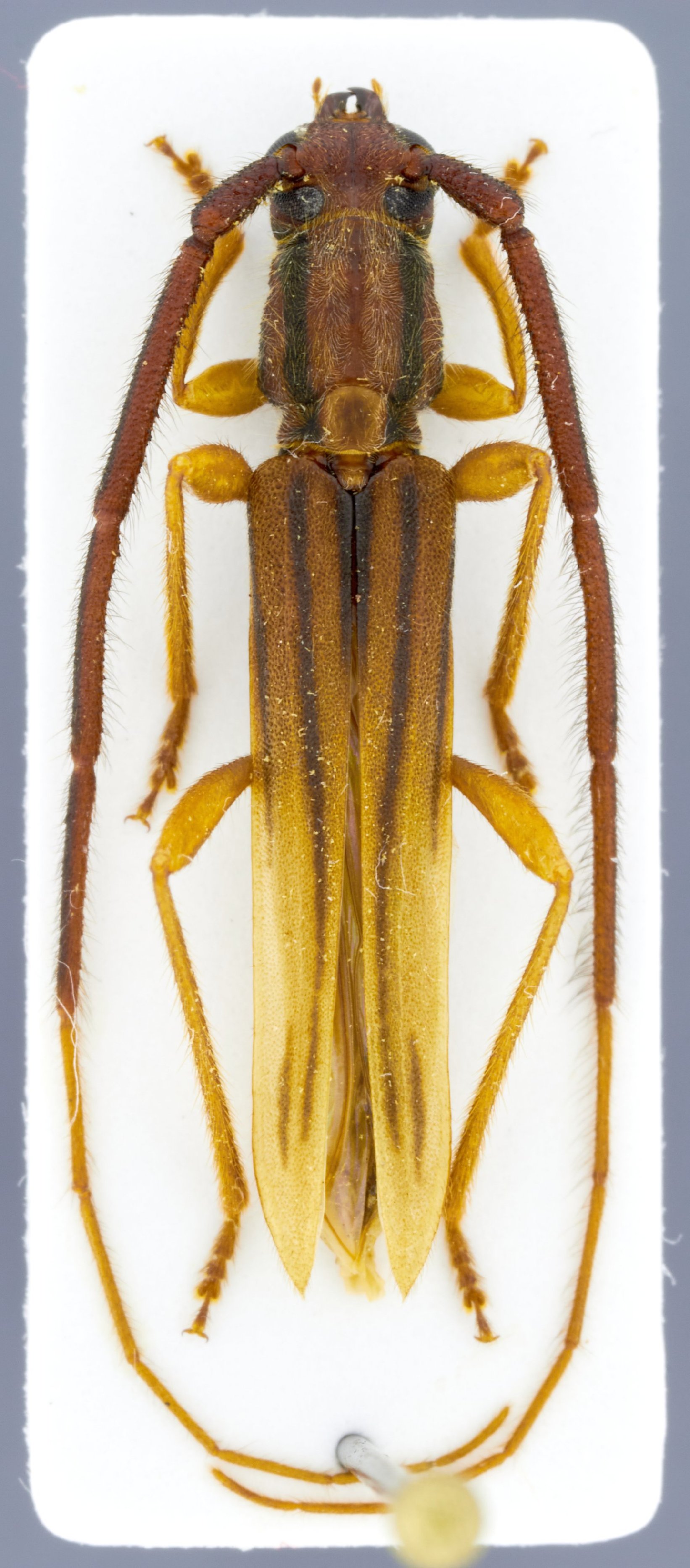
Family Cerambycinae
SubFamily Cerambycinae
Tribe Oemini

Genus Placoeme


Placoeme
vitticollis


Placoeme
wappesi

130503