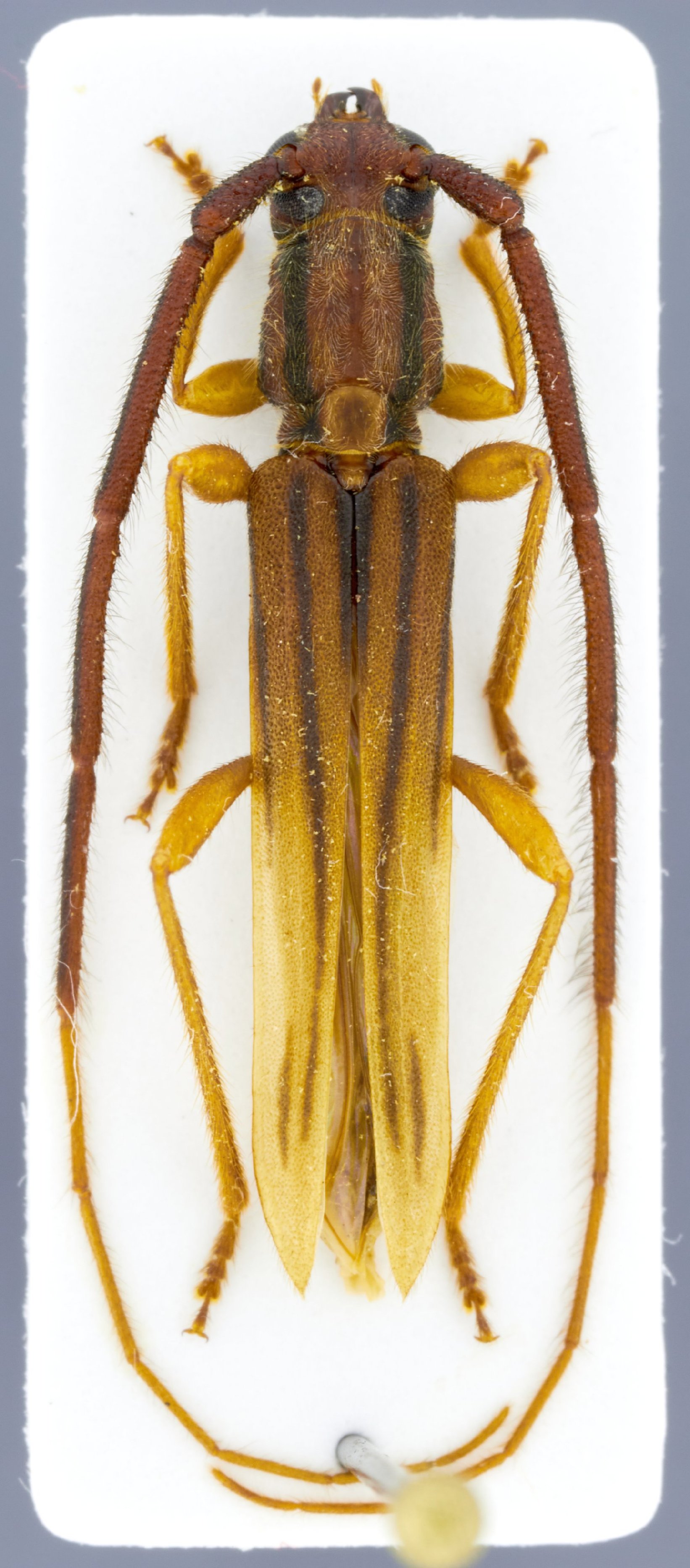
_Chemsak_and_Linsley_CAS_8554.jpg)
Specimen Type: holotype Sex: m Institution: CAS California Academy of Sciences, San Francisco, CA, USA Photographer: Larry G. Bezark Collection Location: El Salto, Escuintla, Guatemala 23650
|

Institution: Vlasak Collection Photographer: Josef Vlasak Collection Location: Diria National Park, Guanacaste, Costa Rica 89297
|